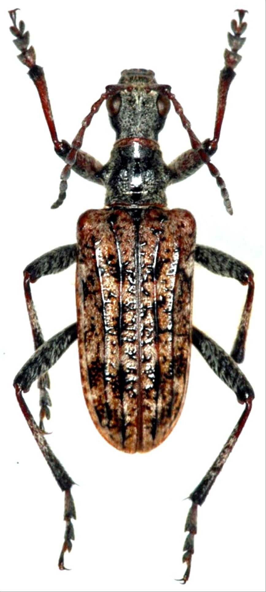
Japanese Longicorn Beetles

Rhagium heyrovskyi hayakawai  Takakuwa, 1984
Family:Cerambycidae
Subfamily:Lepturinae
Data of specimen
Sex:male
Body length excl.antennae(mm):14.6
Date of collection:1996/05/29
Country:Japan
Prefecture:Gifu
City/town:Takayama-shi
Detailed locality:
Longitude ( 137˚27'50.0"E )
Latitude ( 35˚57'43.3"N )
latest update:
2017/08/08



Back