Japanese Longicorn Beetles

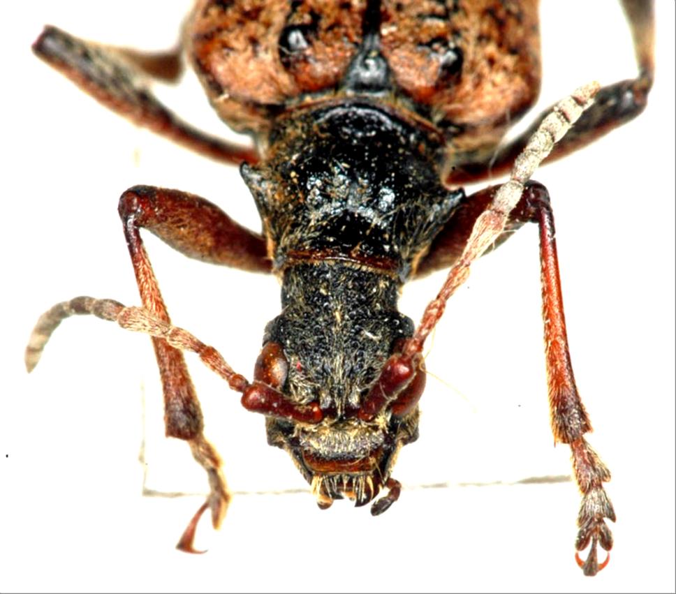
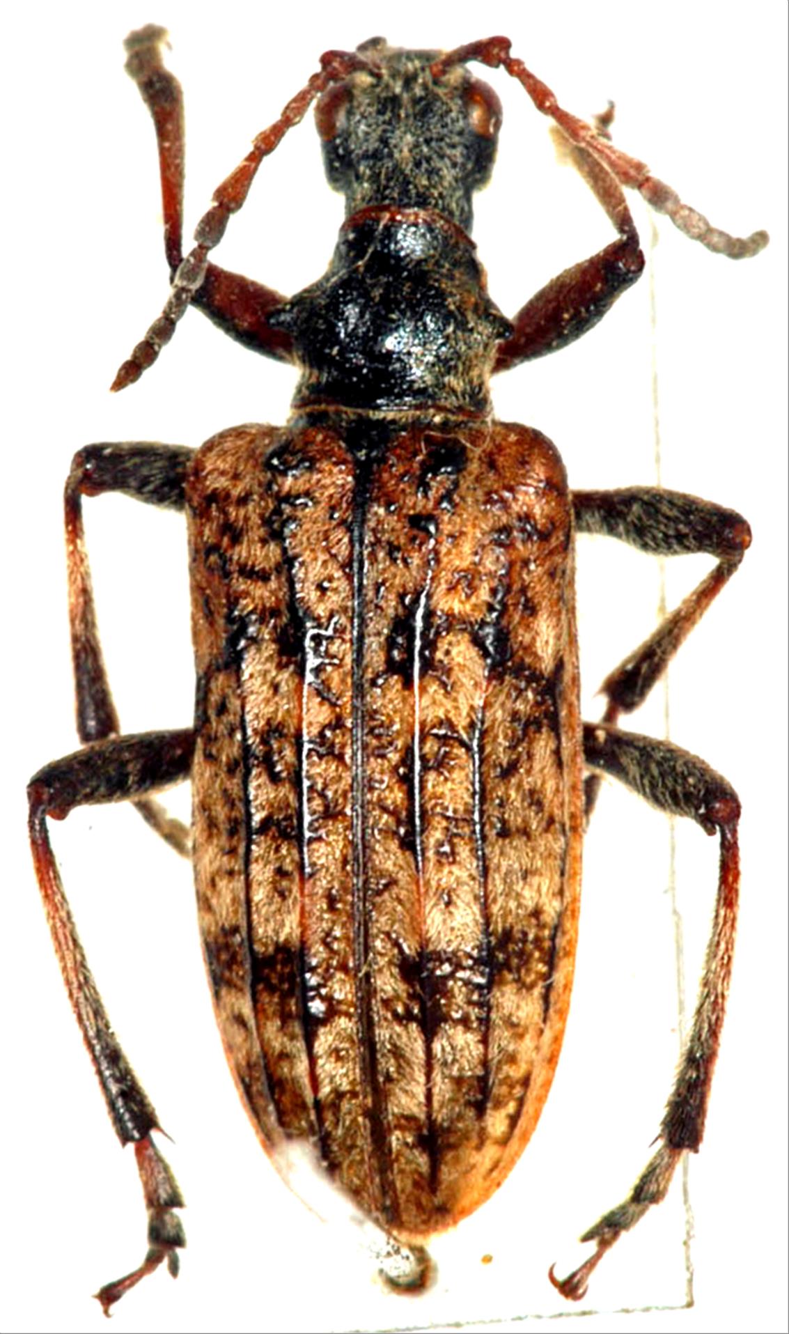
Rhagium heyrovskyi heyrovskyi  Podany, 1964
Family:Cerambycidae
Subfamily:Lepturinae
Data of specimen
Sex:female
Body length excl.antennae(mm):18
Date of collection:1966/06/15
Country:Japan
Prefecture:Hokkaido
City/town:Kamishihoro-cho
Detailed locality:
Longitude ( 143˚11'07.5"E )
Latitude ( 43˚21'07.9"N )
latest update:
2017/08/08



Back