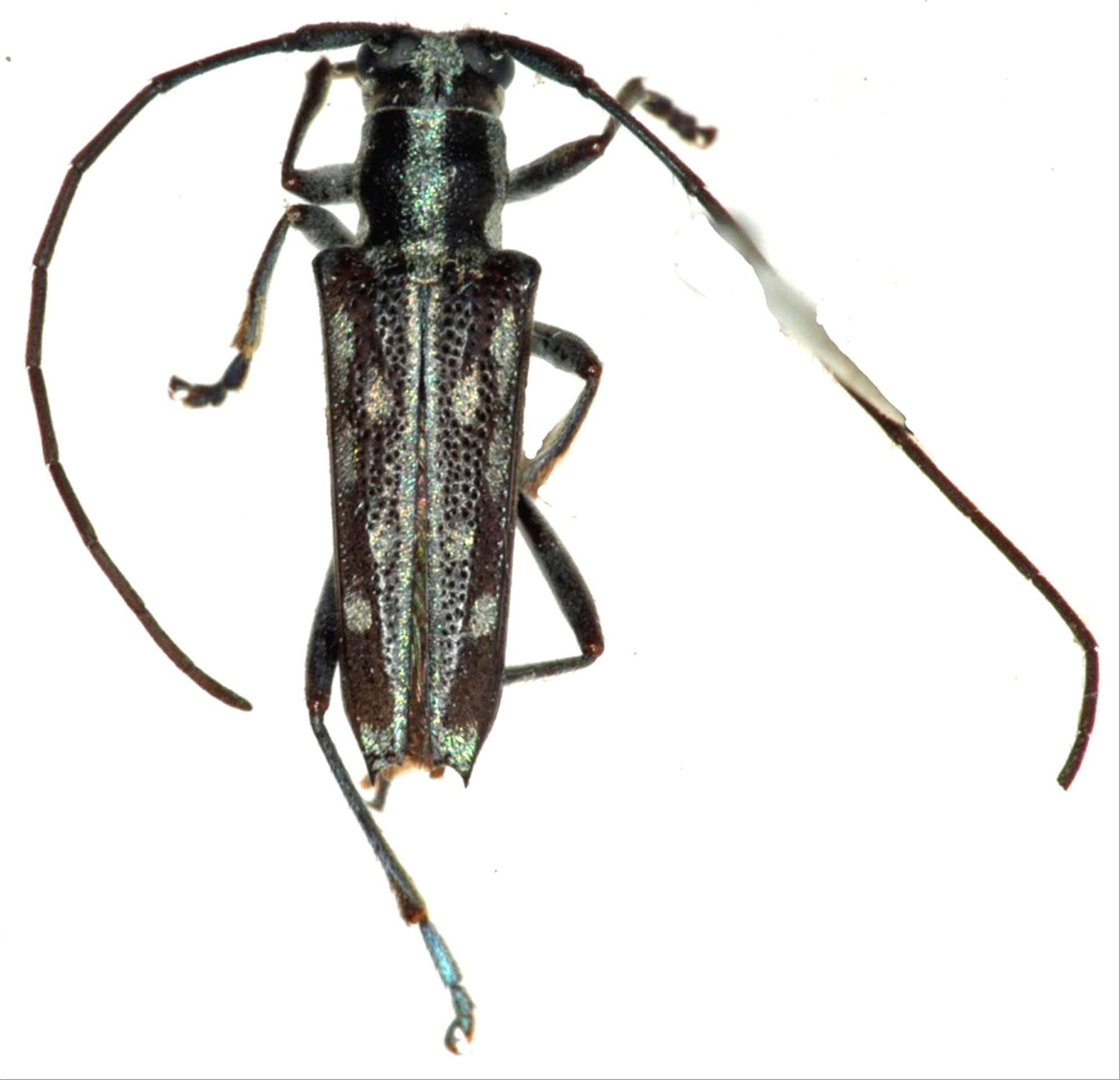
日本産カミキリムシ

ハチジョウルリボシカミキリ
カミキリムシ科
フトカミキリ亜科


Glenea chlorospila hachijonis  Matsumura et Matsushita, 1933
Cerambycidae
Lamiinae
標本データ
性:オス
体長(mm):9
採集日:1975/06/26
採集地(国):日本
採集地(都道府県):東京都
採集地(市町村):三宅村大路池西側
採集地(詳細):三宅島
更新日:2017/08/08



戻る