日本産カミキリムシ

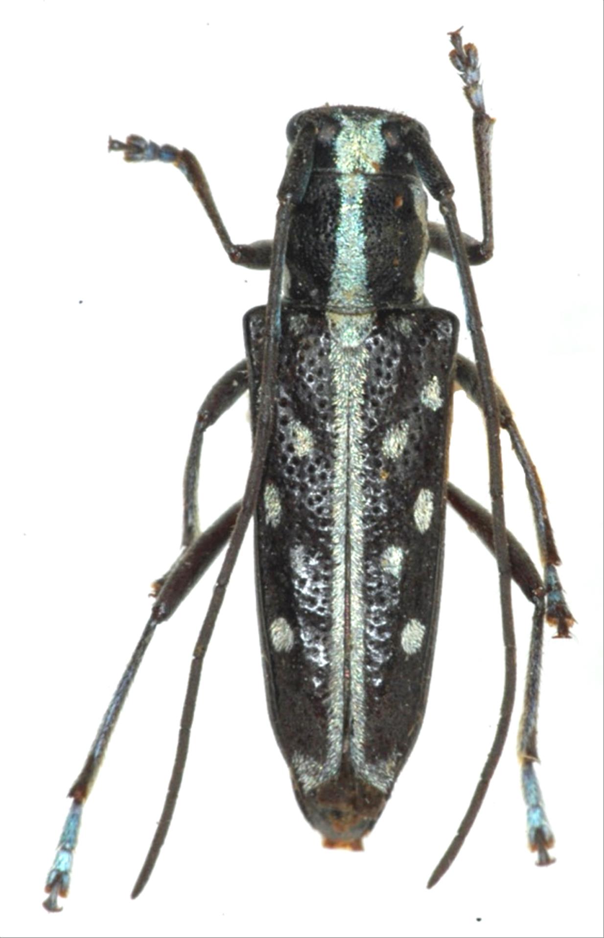
リュウキュウルリボシカミキリ
カミキリムシ科
フトカミキリ亜科


Glenea chlorospila chlorospila  Gahan, 1897
Cerambycidae
Lamiinae
標本データ
性:メス
体長(mm):12
採集日:1974/07/02
採集地(国):日本
採集地(都道府県):鹿児島県
採集地(市町村):和泊町
採集地(詳細):沖永良部島
更新日:2017/08/08



戻る