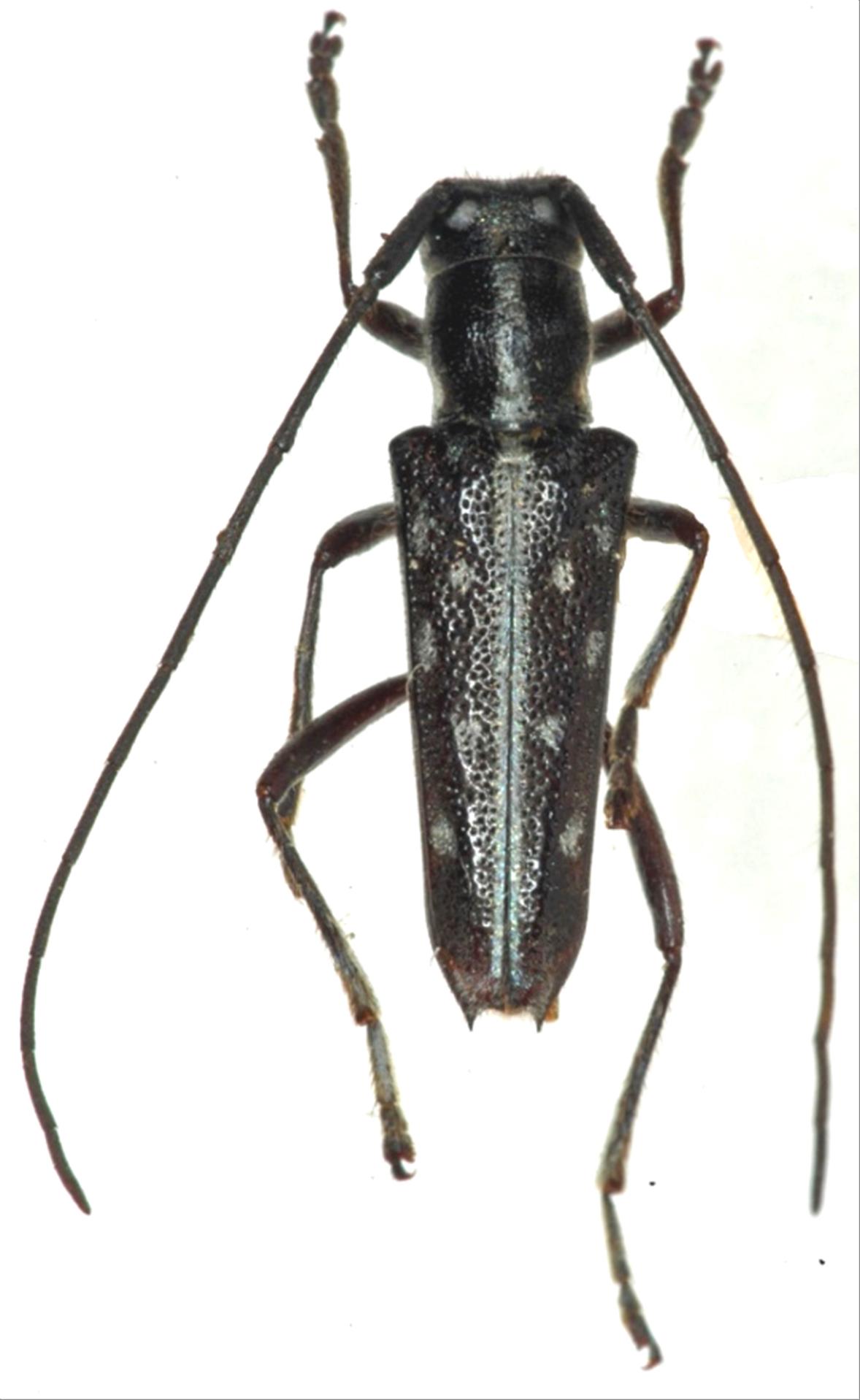
日本産カミキリムシ

リュウキュウルリボシカミキリ
カミキリムシ科
フトカミキリ亜科


Glenea chlorospila chlorospila  Gahan, 1897
Cerambycidae
Lamiinae
標本データ
性:オス
体長(mm):11
採集日:1970/06/09
採集地(国):日本
採集地(都道府県):鹿児島県
採集地(市町村):奄美大島
採集地(詳細):
更新日:2017/08/08



戻る