日本産カミキリムシ

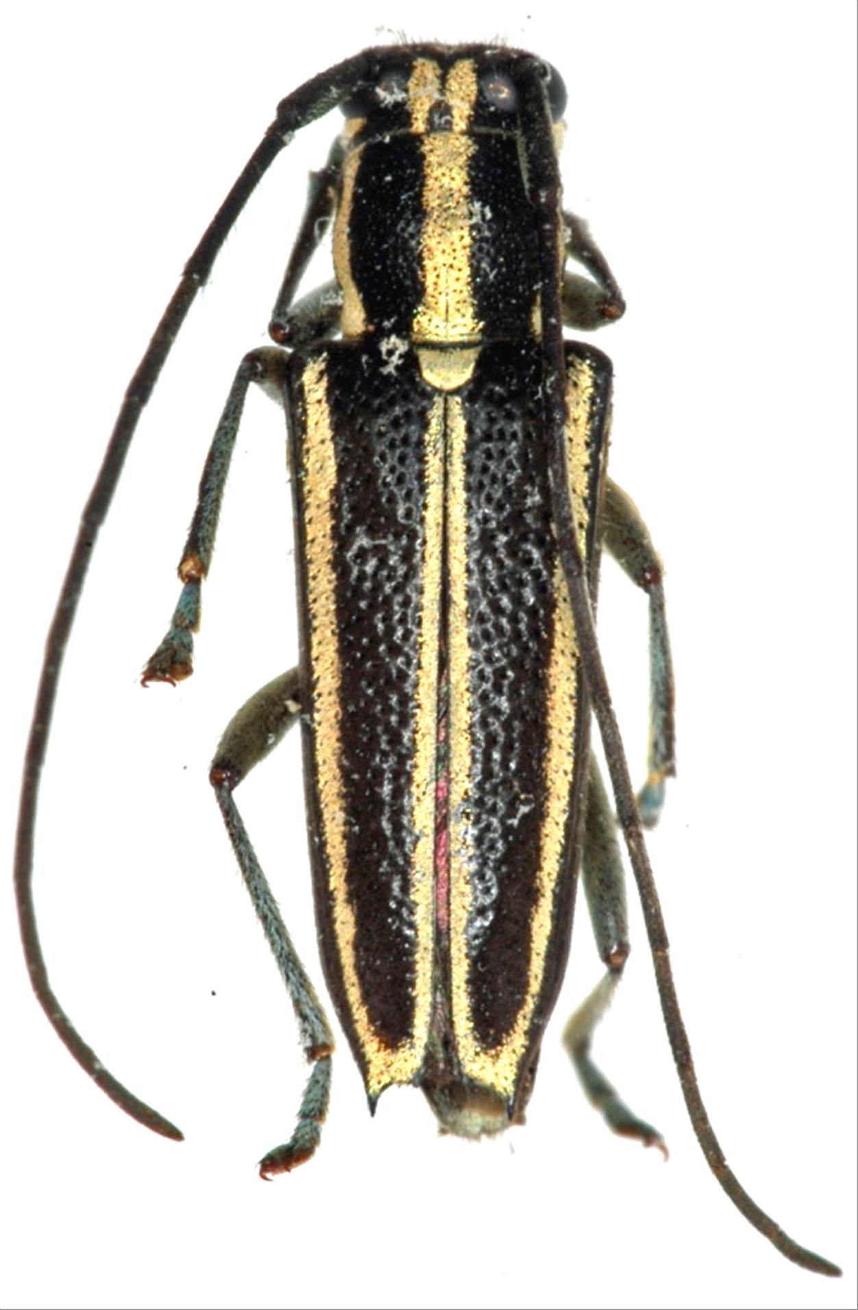
イワサキキンスジカミキリ
カミキリムシ科
フトカミキリ亜科


Glenea iwasakii  Kono, 1933
Cerambycidae
Lamiinae
標本データ
性:メス
体長(mm):11
採集日:1974/05/19
採集地(国):日本
採集地(都道府県):沖縄県
採集地(市町村):石垣市於茂登岳
採集地(詳細):
更新日:2017/08/08



戻る