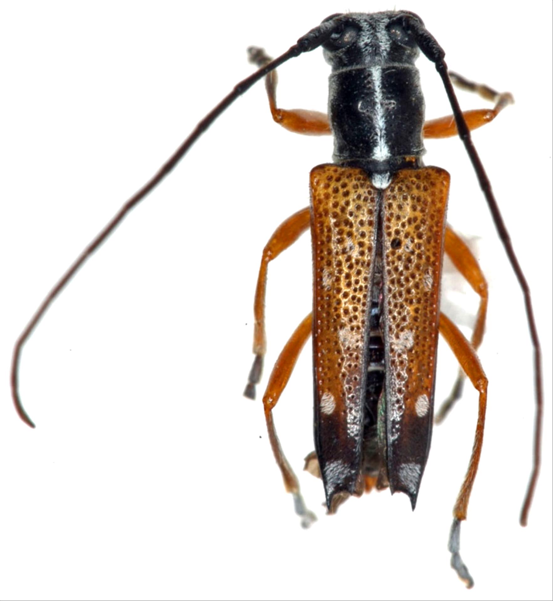
日本産カミキリムシ

イズシラホシカミキリ
カミキリムシ科
フトカミキリ亜科


Glenea relicta izuin  sulana Fujita, 1980
Cerambycidae
Lamiinae
標本データ
性:メス
体長(mm):8
採集日:2004/07
採集地(国):日本
採集地(都道府県):東京都
採集地(市町村):三宅島火の山上
採集地(詳細):
更新日:2017/08/08



戻る