日本産カミキリムシ

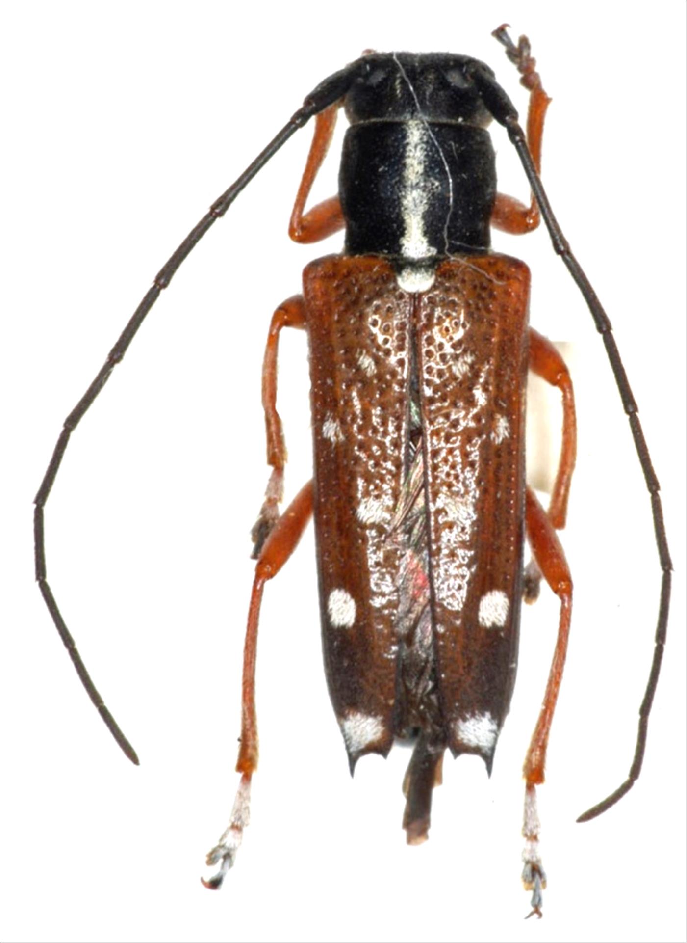
シラホシカミキリ
カミキリムシ科
フトカミキリ亜科


Glenea relicta relicta  Pascoe, 1868
Cerambycidae
Lamiinae
標本データ
性:メス
体長(mm):11
採集日:1981/08/03 〜 1981/08/04
採集地(国):日本
採集地(都道府県):福島県
採集地(市町村):檜枝岐村
採集地(詳細):
更新日:2017/08/08



戻る