日本産カミキリムシ

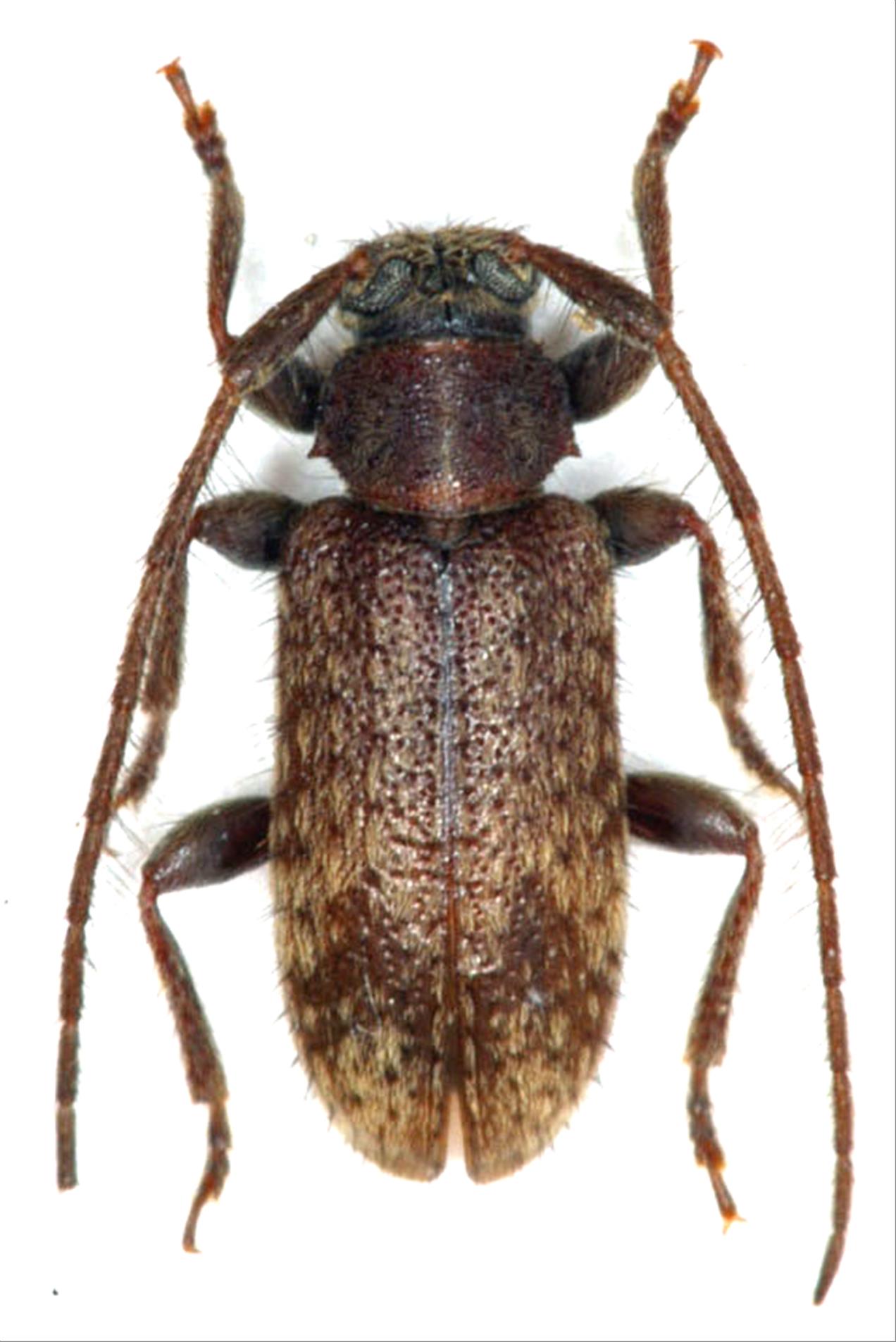
ハヤシケシカミキリ
カミキリムシ科
フトカミキリ亜科


Exocentrus hayashii  Samuelson,1965
Cerambycidae
Lamiinae
標本データ
性:メス
体長(mm):5
採集日:1979/04/12 〜 1979/04/15
採集地(国):日本
採集地(都道府県):沖縄県
採集地(市町村):竹富町船浦
採集地(詳細):西表島
更新日:2017/08/08



戻る