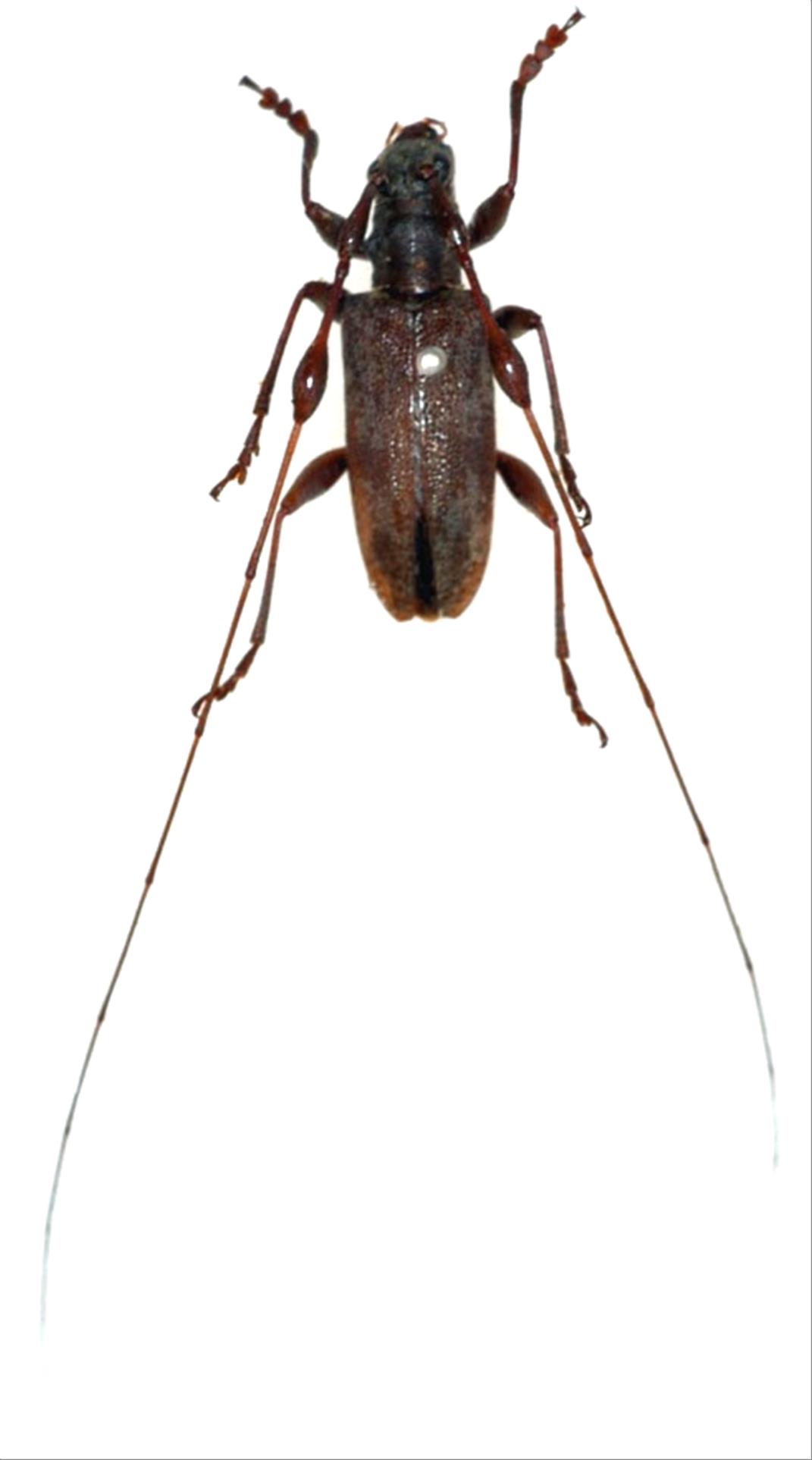
日本産カミキリムシ

オキナワコブヒゲカミキリ
カミキリムシ科
フトカミキリ亜科


Rhodopina okinawensis  (Matsushita, 1933)
Cerambycidae
Lamiinae
標本データ
性:オス
体長(mm):15
採集日:1978/05/20 〜 1978/05/21
採集地(国):日本
採集地(都道府県):沖縄県
採集地(市町村):国頭村与那覇岳
採集地(詳細):
更新日:2017/08/08



戻る