日本産カミキリムシ

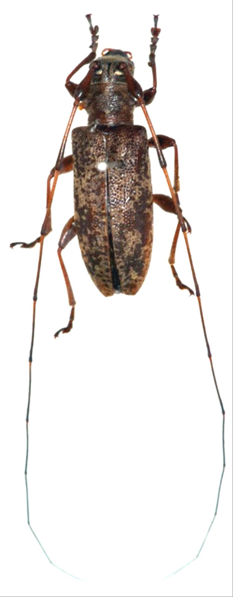
アマミコブヒゲカミキリ
カミキリムシ科
フトカミキリ亜科


Rhodopina modica  Komiya, 1984
Cerambycidae
Lamiinae
標本データ
性:メス
体長(mm):15
採集日:1978/05/27
採集地(国):日本
採集地(都道府県):鹿児島県
採集地(市町村):奄美市名瀬
採集地(詳細):
更新日:2017/08/08



戻る