日本産カミキリムシ

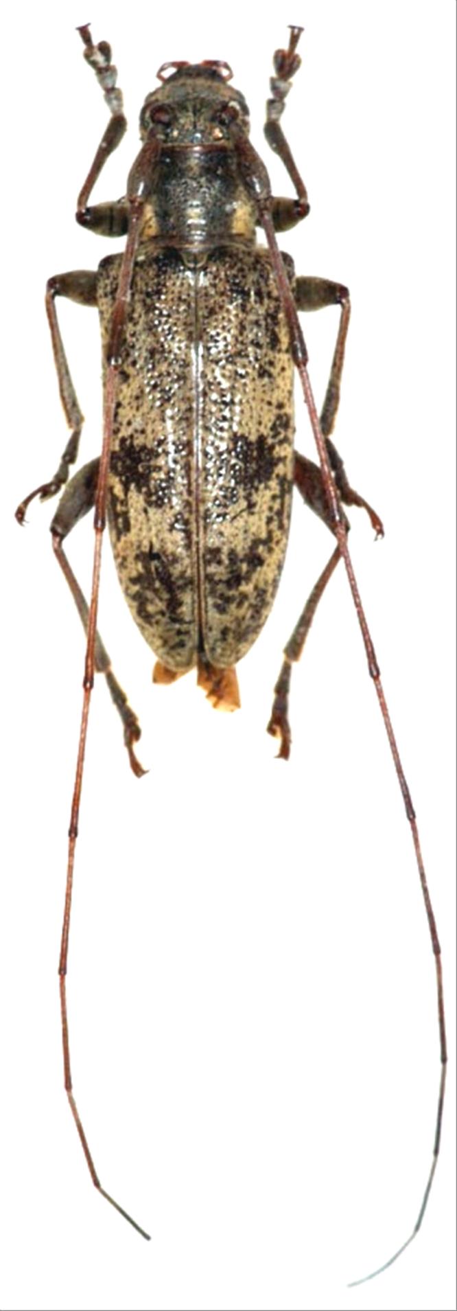
イズトカラコブヒゲカミキリ
カミキリムシ科
フトカミキリ亜科


Rhodopina tokarensis komiyai  Hayashi, 1969
Cerambycidae
Lamiinae
標本データ
性:メス
体長(mm):15
採集日:1972/07/01 〜 1972/07/03
採集地(国):日本
採集地(都道府県):東京都
採集地(市町村):神津島村
採集地(詳細):神津島
更新日:2017/08/08



戻る