日本産カミキリムシ

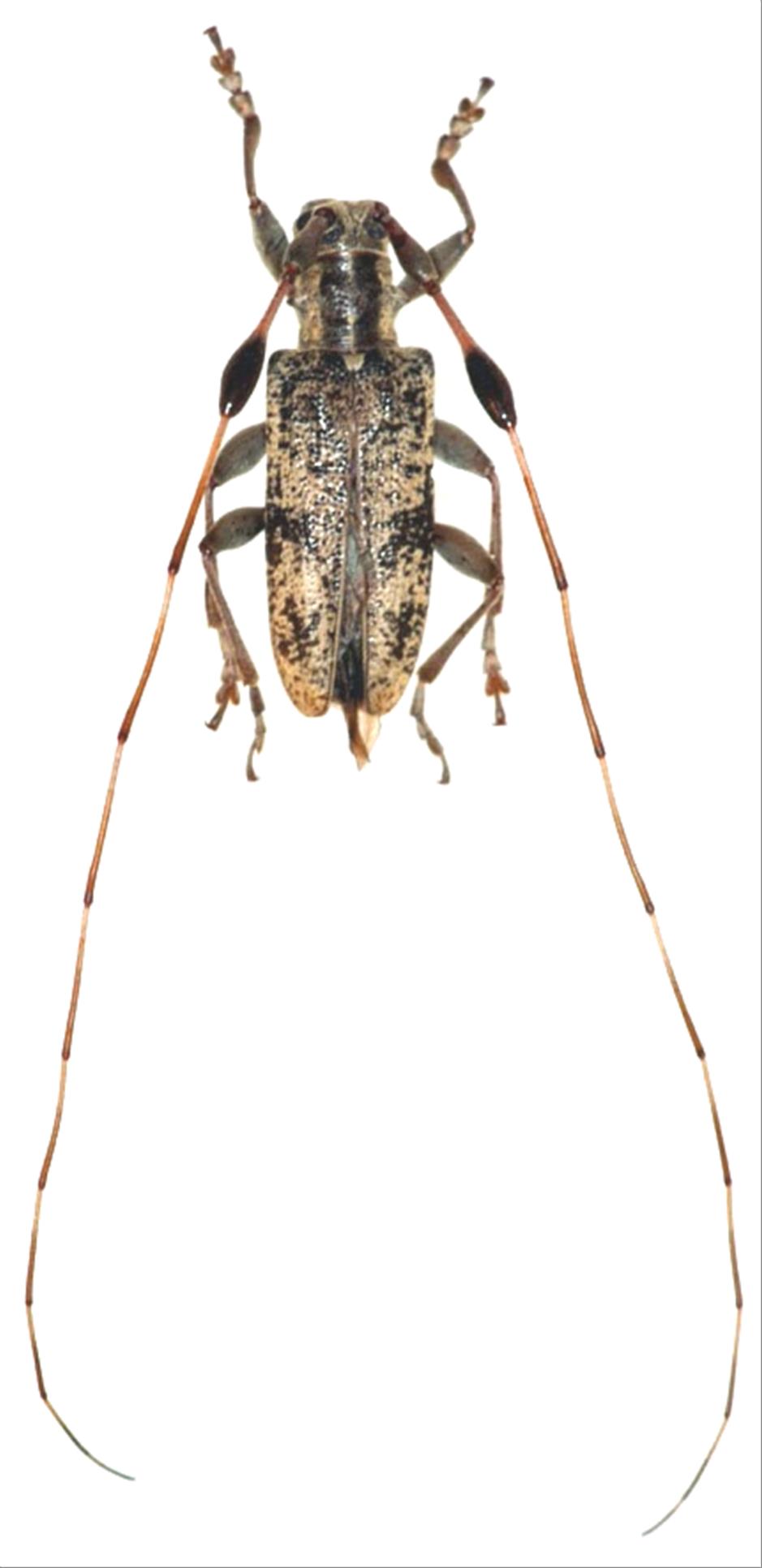
イズトカラコブヒゲカミキリ
カミキリムシ科
フトカミキリ亜科


Rhodopina tokarensis komiyai  Hayashi, 1969
Cerambycidae
Lamiinae
標本データ
性:オス
体長(mm):12
採集日:2004/06/02
採集地(国):日本
採集地(都道府県):東京都
採集地(市町村):三宅村阿古村道雄山線
採集地(詳細):三宅島
更新日:2017/08/08



戻る