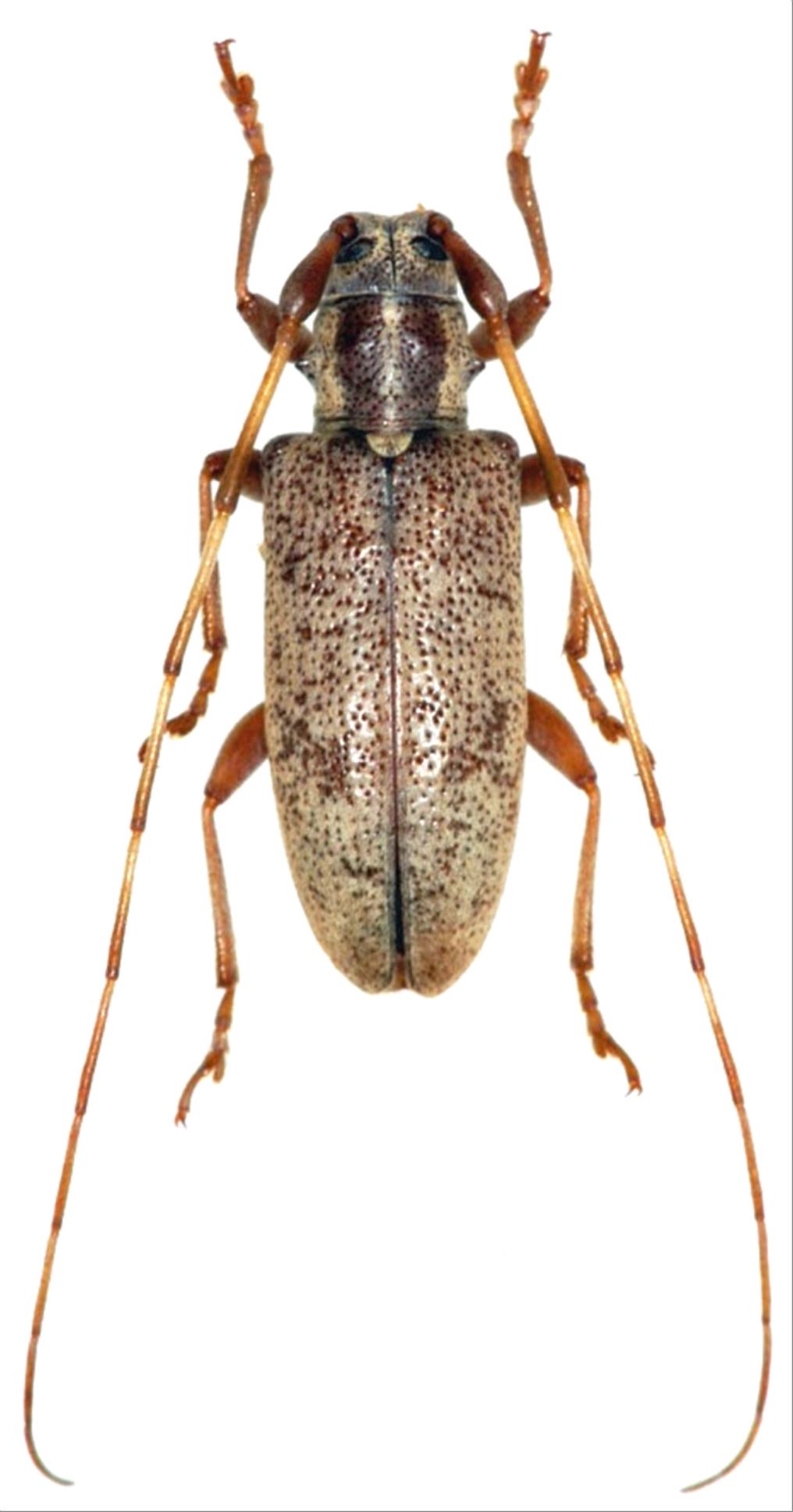
日本産カミキリムシ

メシマコブヒゲカミキリ
カミキリムシ科
フトカミキリ亜科


Rhodopina meshimensis  Makihara, 1980
Cerambycidae
Lamiinae
標本データ
性:メス
体長(mm):12
採集日:1995/05/07
採集地(国):日本
採集地(都道府県):長崎県
採集地(市町村):五島市浜町男島
採集地(詳細):男女群島
更新日:2017/08/08



戻る