日本産カミキリムシ

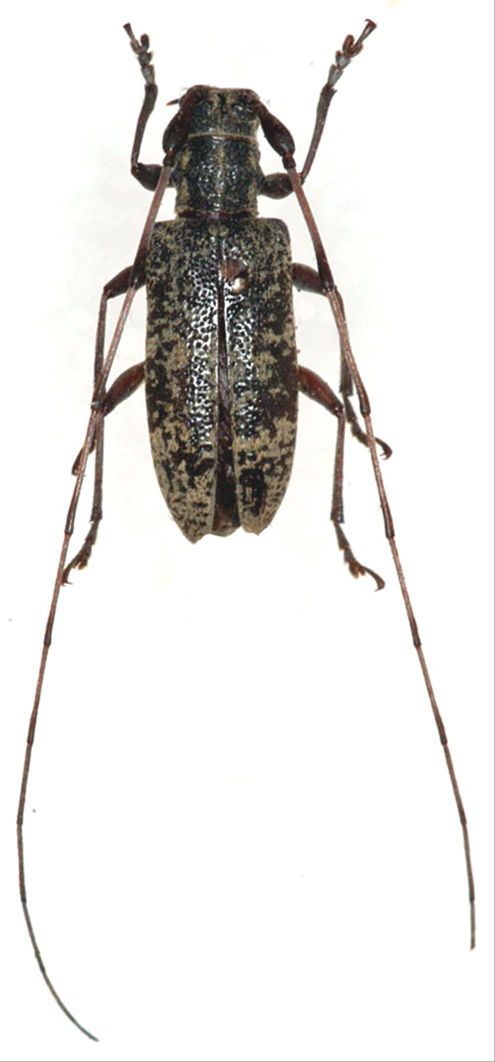
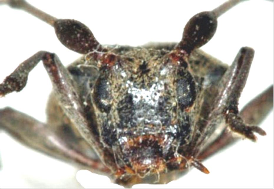
セミスジコブヒゲナガカミキリ
カミキリムシ科
フトカミキリ亜科


Rhodopina lewisii lewisii  (Bates, 1873)
Cerambycidae
Lamiinae
標本データ
性:メス
体長(mm):12
採集日:1984/08/07
採集地(国):日本
採集地(都道府県):北海道
採集地(市町村):七飯町苅潤川
採集地(詳細):
更新日:2017/08/08



戻る