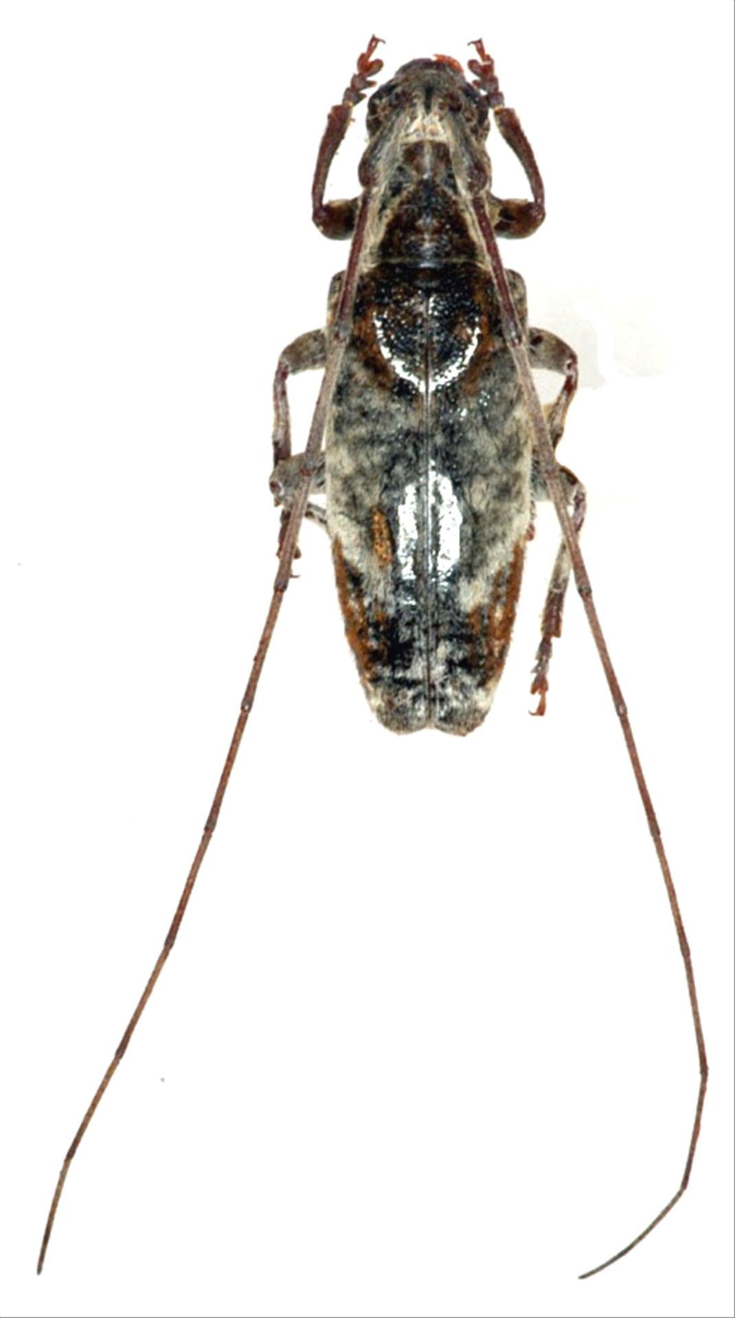
日本産カミキリムシ

エゾナガヒゲカミキリ
カミキリムシ科
フトカミキリ亜科


Hirtaeschopalaea nubilus  (Matsushita, 1933)
Cerambycidae
Lamiinae
標本データ
性:メス
体長(mm):13
採集日:1974/07/13
採集地(国):日本
採集地(都道府県):北海道
採集地(市町村):札幌市中央区丸山
採集地(詳細):
更新日:2017/08/08



戻る