日本産カミキリムシ

エゾナガヒゲカミキリ
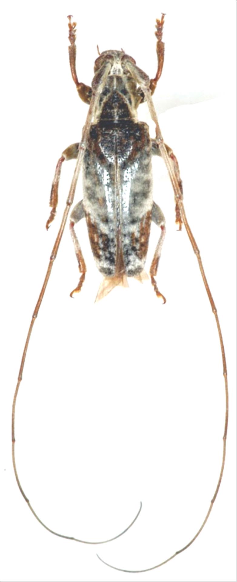
カミキリムシ科
フトカミキリ亜科


Hirtaeschopalaea nubilus  (Matsushita, 1933)
Cerambycidae
Lamiinae
標本データ
性:オス
体長(mm):11
採集日:1970/06/26
採集地(国):日本
採集地(都道府県):長野県
採集地(市町村):上松市木曽駒ヶ岳
採集地(詳細):
更新日:2017/08/08



戻る