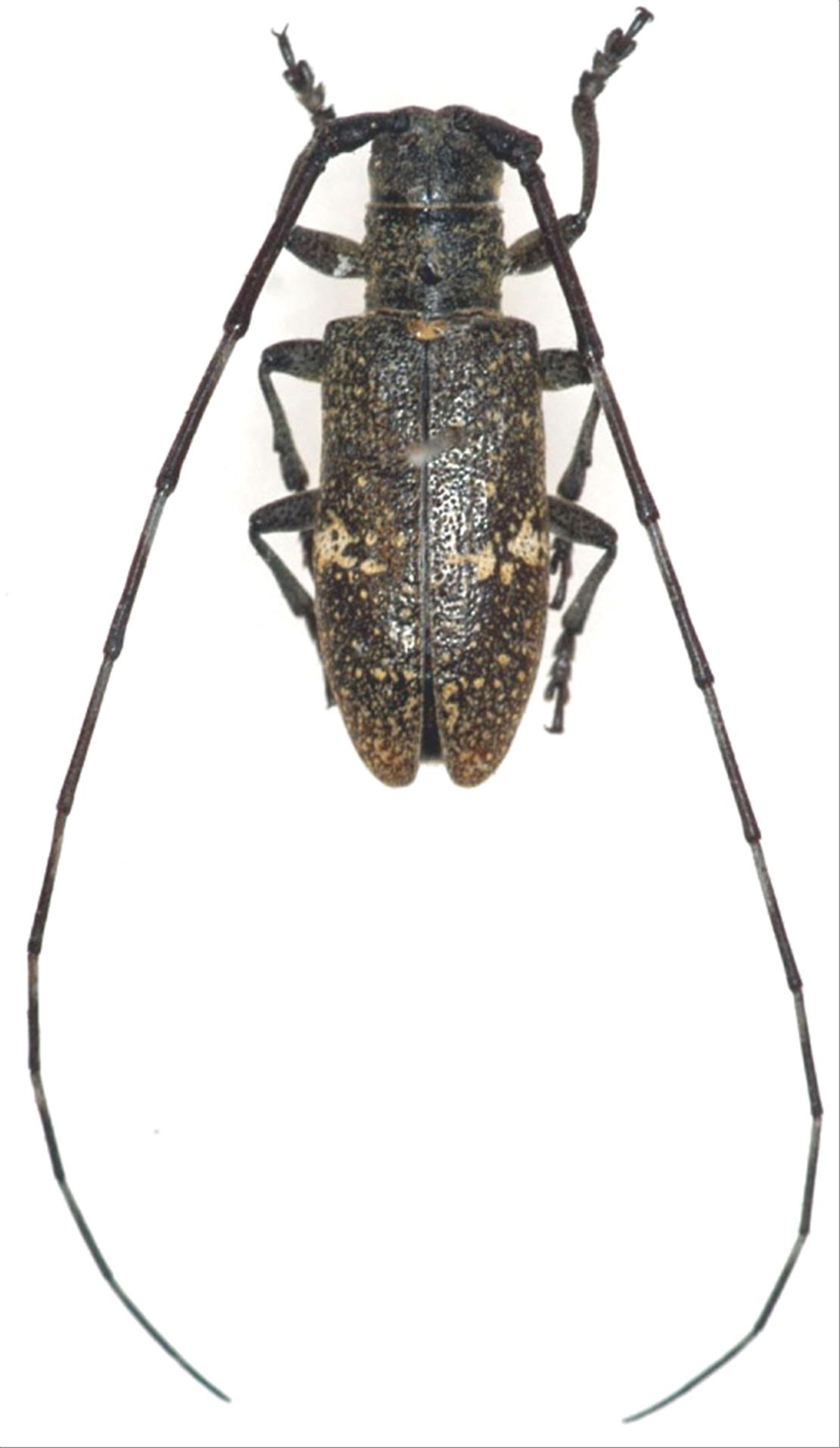
日本産カミキリムシ

サツマヒメヒゲナガカミキリ
カミキリムシ科
フトカミキリ亜科


Monochamus subfasciatus meridianus  Hayashi, 1955
Cerambycidae
Lamiinae
標本データ
性:メス
体長(mm):17
採集日:1967/05/30
採集地(国):日本
採集地(都道府県):鹿児島県
採集地(市町村):南大隅町佐多岬
採集地(詳細):
更新日:2017/08/08



戻る