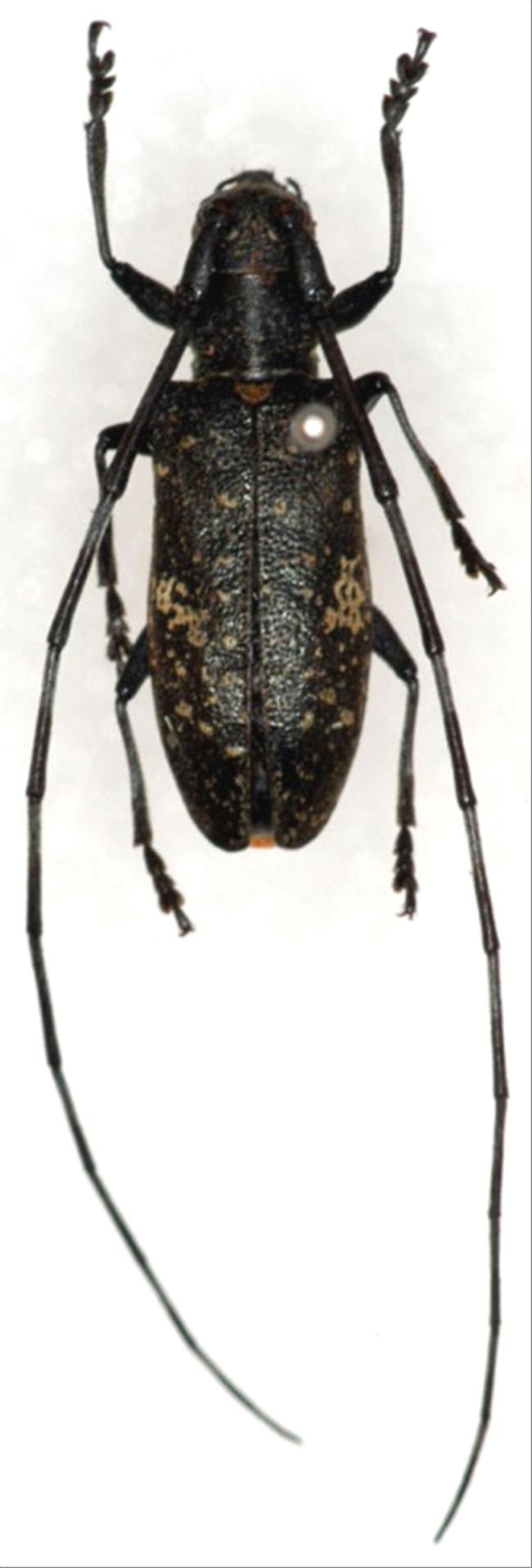
日本産カミキリムシ

ヒメヒゲナガカミキリ
カミキリムシ科
フトカミキリ亜科


Monochamus subfasciatus subfasciatus  (Bates, 1873)
Cerambycidae
Lamiinae
標本データ
性:メス
体長(mm):15
採集日:1982/08/02 〜 1982/08/05
採集地(国):日本
採集地(都道府県):岩手県
採集地(市町村):遠野市早池峰山
採集地(詳細):
更新日:2017/08/08



戻る