日本産カミキリムシ

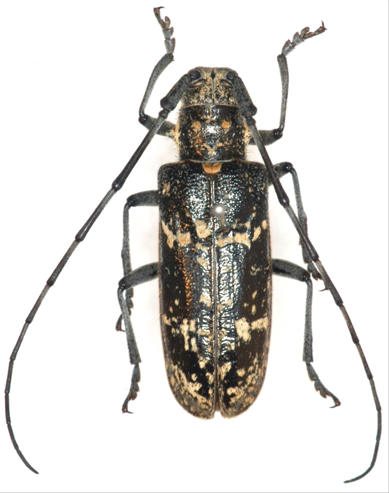
シラフヒゲナガカミキリ
カミキリムシ科
フトカミキリ亜科


Monochamus nitens  (Bates, 1884)
Cerambycidae
Lamiinae
標本データ
性:メス
体長(mm):24
採集日:1986/07/21
採集地(国):日本
採集地(都道府県):栃木県
採集地(市町村):日光市川俣鬼怒沼
採集地(詳細):
更新日:2017/08/08



戻る