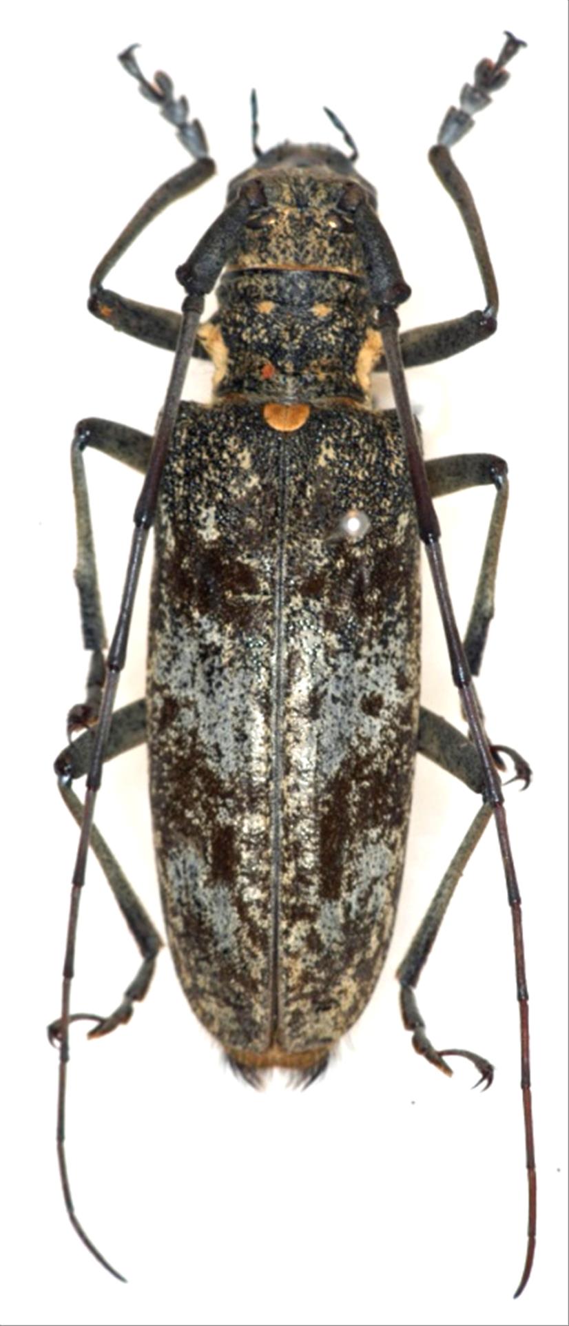
日本産カミキリムシ

ヒゲナガカミキリ
カミキリムシ科
フトカミキリ亜科


Monochamus grandis  Waterhouse, 1881
Cerambycidae
Lamiinae
標本データ
性:メス
体長(mm):38
採集日:1987/07/21
採集地(国):日本
採集地(都道府県):栃木県
採集地(市町村):日光市川俣日光沢
採集地(詳細):
更新日:2017/08/08



戻る