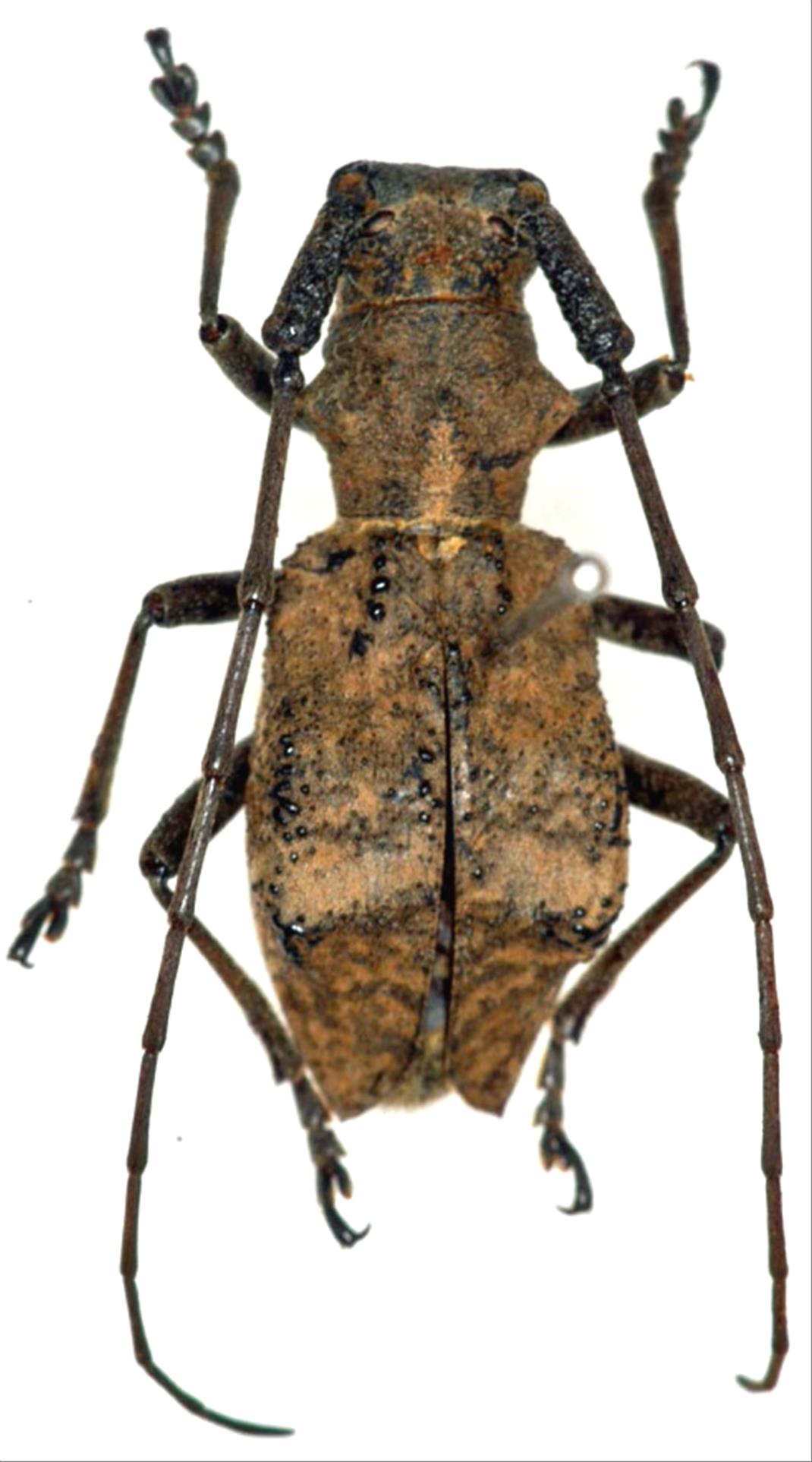
日本産カミキリムシ

フクチセダカコブヤハズカミキリ
カミキリムシ科
フトカミキリ亜科


Parechthistatus gibber longicomis  Hayashi, 1951
Cerambycidae
Lamiinae
標本データ
性:メス
体長(mm):18
採集日:1979/09/23
採集地(国):日本
採集地(都道府県):大分県
採集地(市町村):九重町田野吉部
採集地(詳細):
更新日:2017/08/08



戻る