日本産カミキリムシ

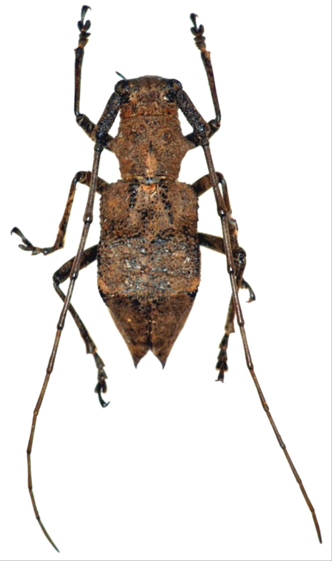
ツシマセダカコブヤハズカミキリ
カミキリムシ科
フトカミキリ亜科


Parechthistatus gibber tsushimanus  K. Ohbayashi, 1961
Cerambycidae
Lamiinae
標本データ
性:メス
体長(mm):20
採集日:1985/07/24 〜 1985/07/27
採集地(国):日本
採集地(都道府県):長崎県
採集地(市町村):対馬市厳原龍良山
採集地(詳細):
更新日:2017/08/08



戻る