日本産カミキリムシ

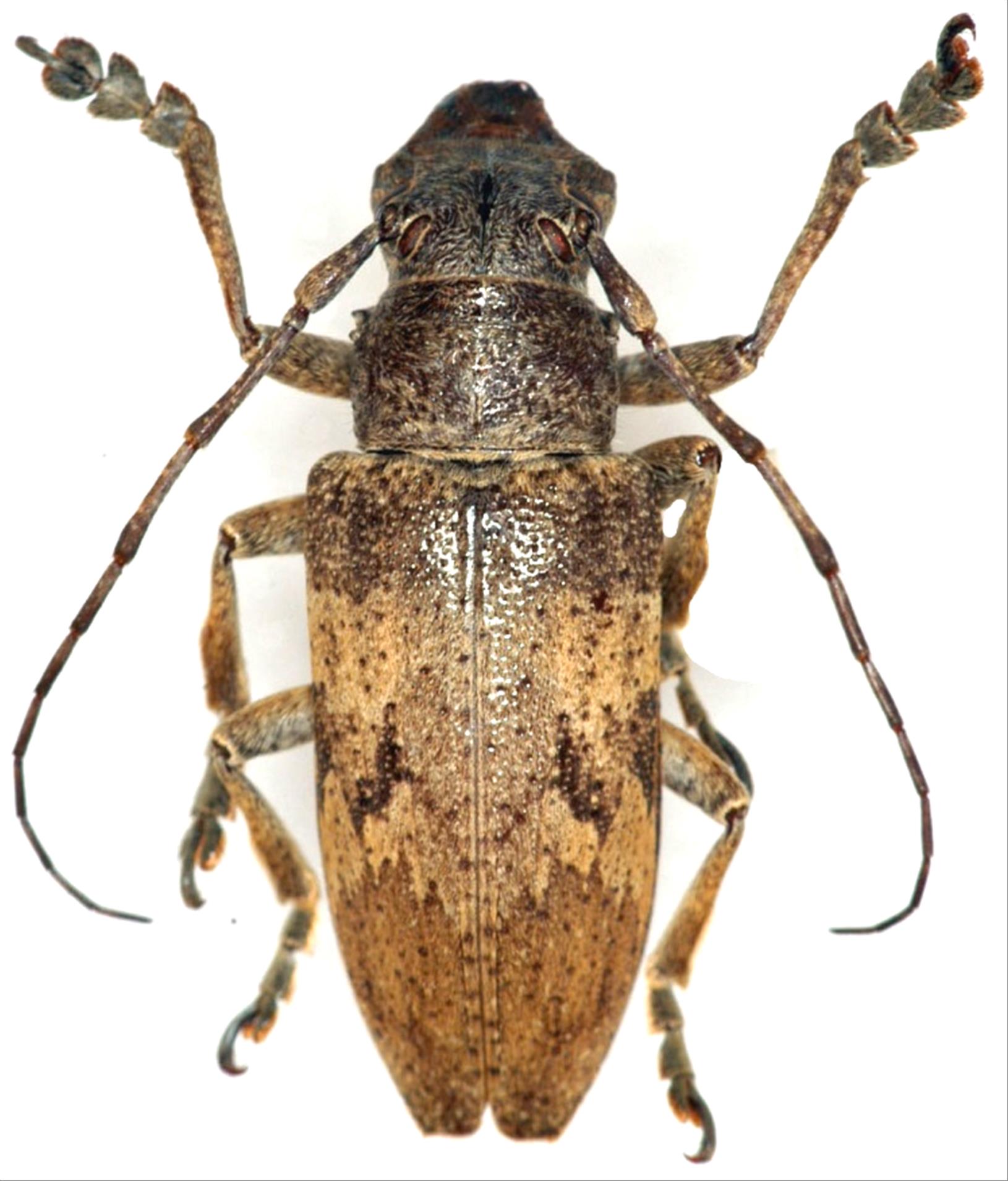
サビアヤカミキリ
カミキリムシ科
フトカミキリ亜科


Abryna obscura  Schwarzer, 1925
Cerambycidae
Lamiinae
標本データ
性:メス
体長(mm):25
採集日:1974/05/22
採集地(国):日本
採集地(都道府県):沖縄県
採集地(市町村):南城市知念久手堅
採集地(詳細):
更新日:2017/08/08



戻る