日本産カミキリムシ

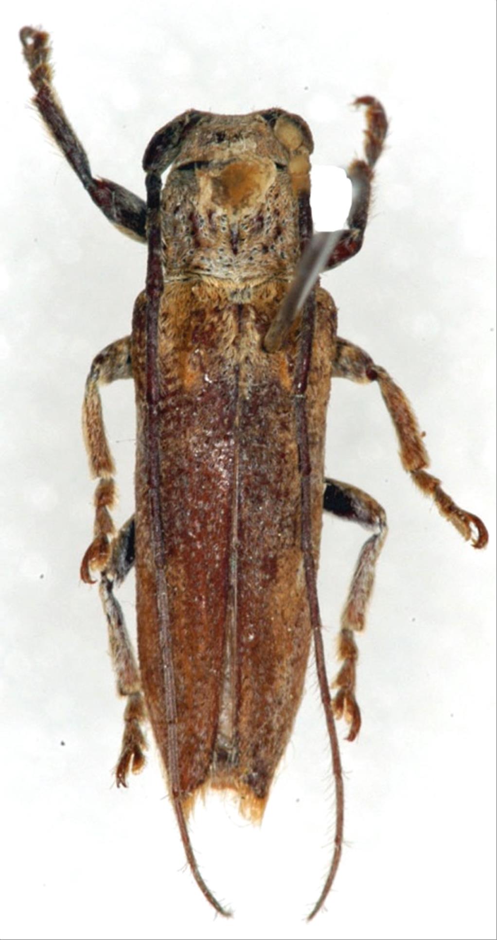
ハイイロヤハズカミキリ
カミキリムシ科
フトカミキリ亜科


Niphona furate  (Bate, 1873)
Cerambycidae
Lamiinae
標本データ
性:オス
体長(mm):15
採集日:1974/06/02
採集地(国):日本
採集地(都道府県):福岡県
採集地(市町村):添田町英彦山
採集地(詳細):
更新日:2017/08/08



戻る