日本産カミキリムシ

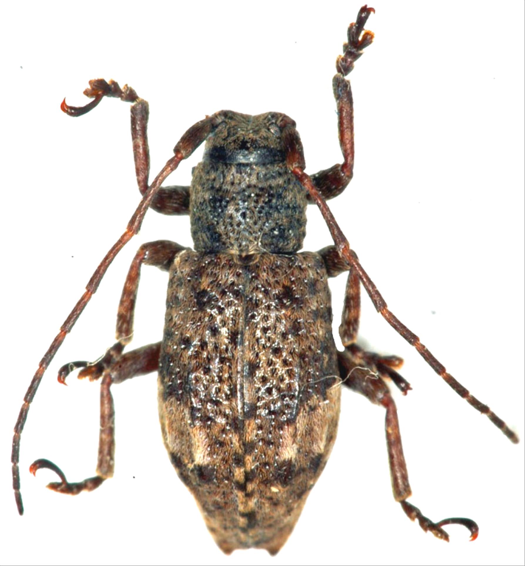
オキナワハネナシサビカミキリ
カミキリムシ科
フトカミキリ亜科


Pterolophia obovata  (Hayashi, 1971)
Cerambycidae
Lamiinae
標本データ
性:メス
体長(mm):8
採集日:1975/05/03
採集地(国):日本
採集地(都道府県):鹿児島県
採集地(市町村):天城町三京
採集地(詳細):徳之島
更新日:2017/08/08



戻る