Japanese Longicorn Beetles

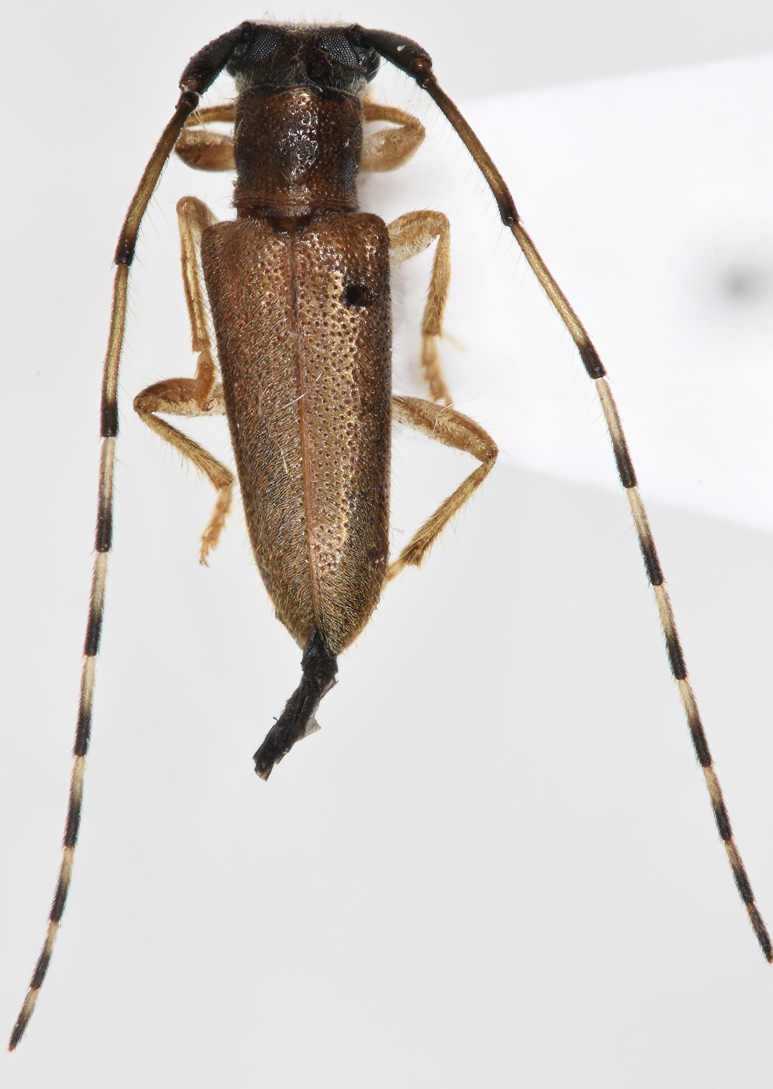
Praolia yakushimana  Hayashi, 1976
Family:Cerambycidae
Subfamily:Laminae
Data of specimen
Sex:male
Body length excl.antennae(mm):6.6
Date of collection:2018/02/21
Country:Japan
Prefecture:Kagoshima
City/town:Nishinoomote-shi
Detailed locality:Tanegashima Is.
Longitude ( 131˚02'37.3"E )
Latitude ( 30˚39'03.6"N )
latest update:
2018/05/09



Back