Japanese Longicorn Beetles

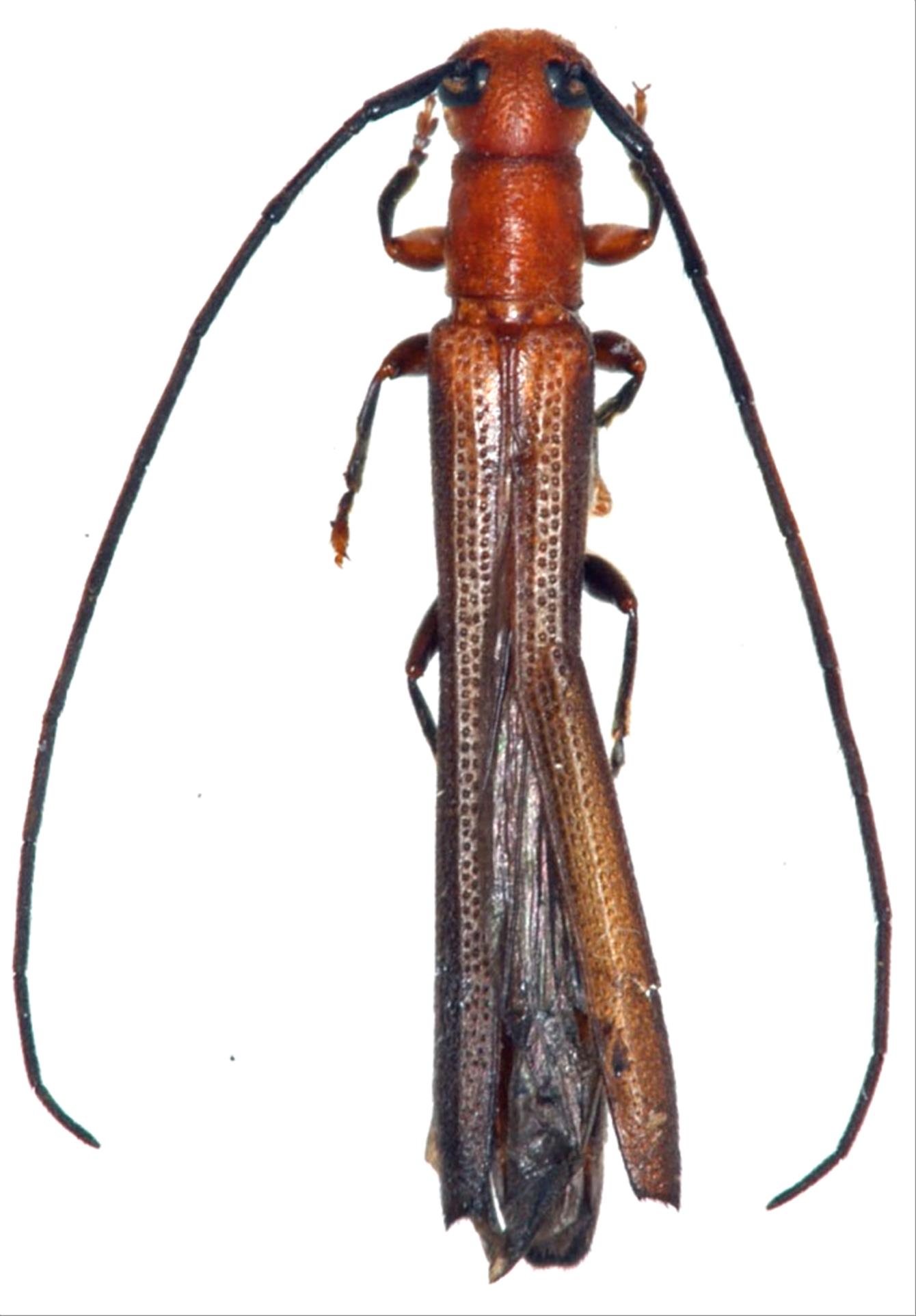
Oberea nigriventris nigriventris  Bates, 1873
Family:Cerambycidae
Subfamily:Lamiinae
Data of specimen
Sex:female
Body length excl.antennae(mm):14
Date of collection:1985/07/30 〜 1985/08/01
Country:Japan
Prefecture:Yamagata
City/town:Oguni-machi
Detailed locality:
Longitude ( 139˚40'06.4"E )
Latitude ( 37˚57'08.6"N )
latest update:
2017/08/08



Back