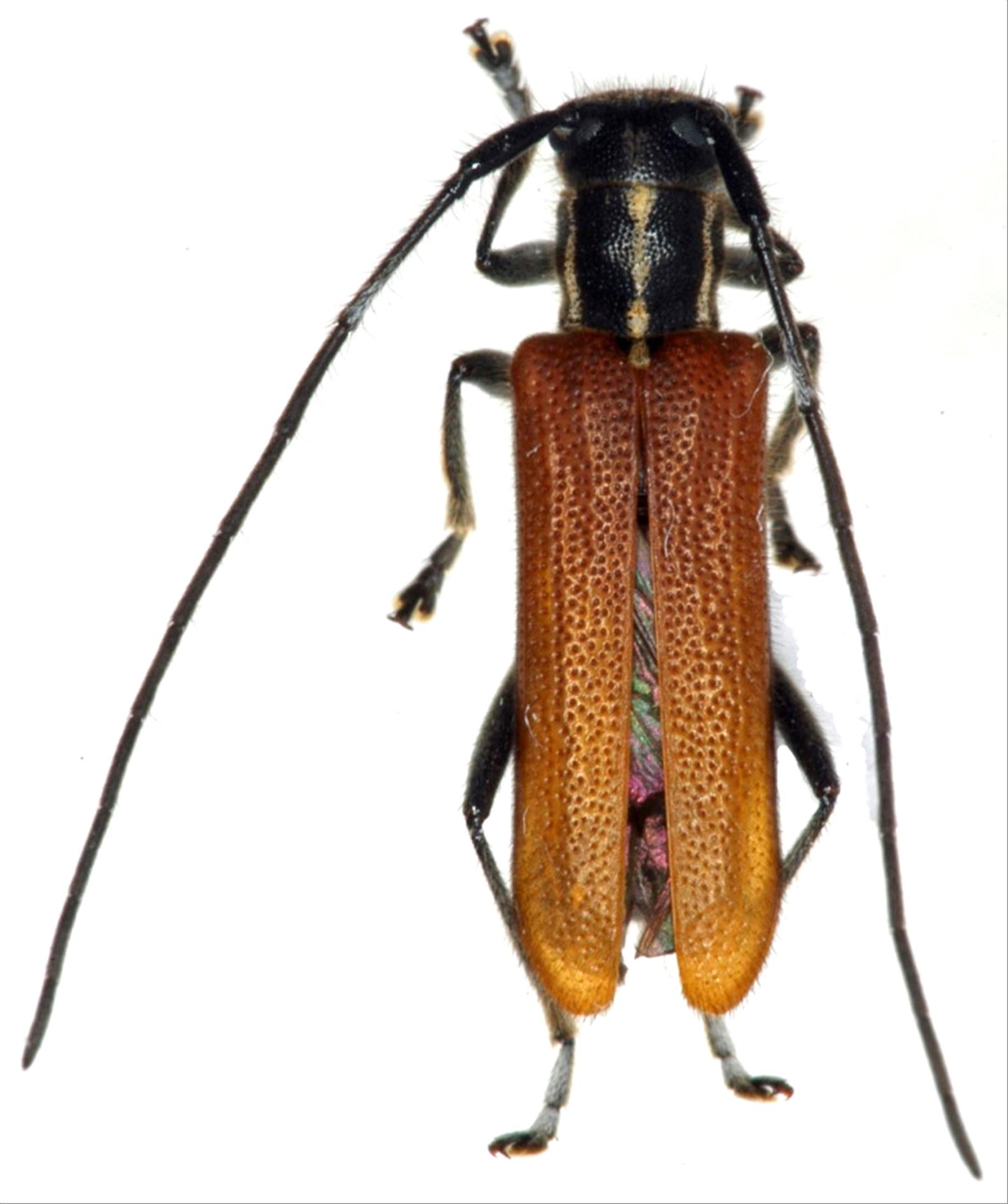
Japanese Longicorn Beetles

Eumecocera anomala  (Bates, 1884)
Family:Cerambycidae
Subfamily:Lamiinae
Data of specimen
Sex:female
Body length excl.antennae(mm):10
Date of collection:2002/04/08
Country:Japan
Prefecture:Kagoshima
City/town:Kimotsuki-cho
Detailed locality:Mt.Hoyoshidake
Longitude ( 131˚00'15.0"E )
Latitude ( 31˚16'09.8"N )
latest update:
2017/08/08



Back