Japanese Longicorn Beetles

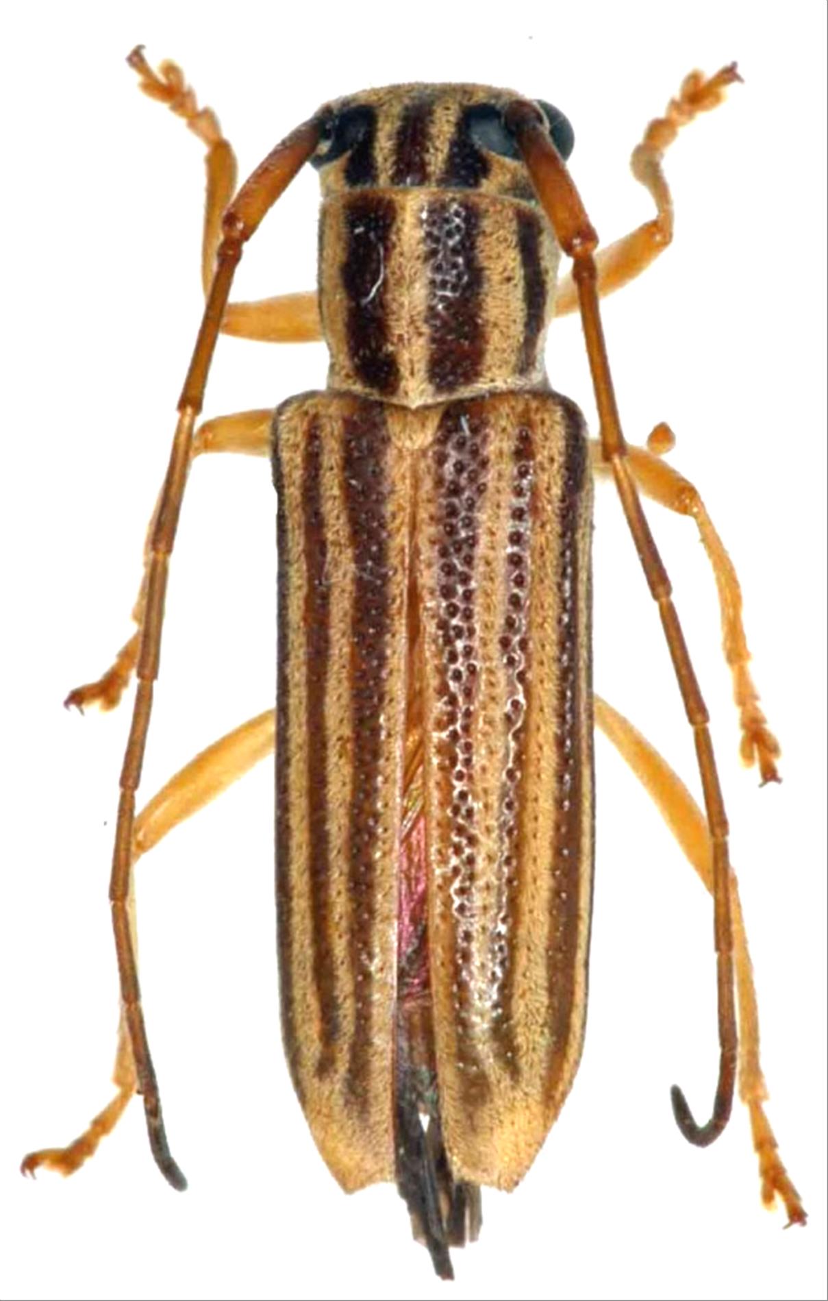
Heteroglenea glechoma  (Pascoe, 1867)
Family:Cerambycidae
Subfamily:Lamiinae
Data of specimen
Sex:female
Body length excl.antennae(mm):10
Date of collection:2003/03/05
Country:Japan
Prefecture:Okinawa
City/town:Ishigaki-shi
Detailed locality:Ishigaki-jima Is.
Longitude ( 124˚12'19.1"E )
Latitude ( 24˚27'20.6"N )
latest update:
2017/08/08



Back