Japanese Longicorn Beetles

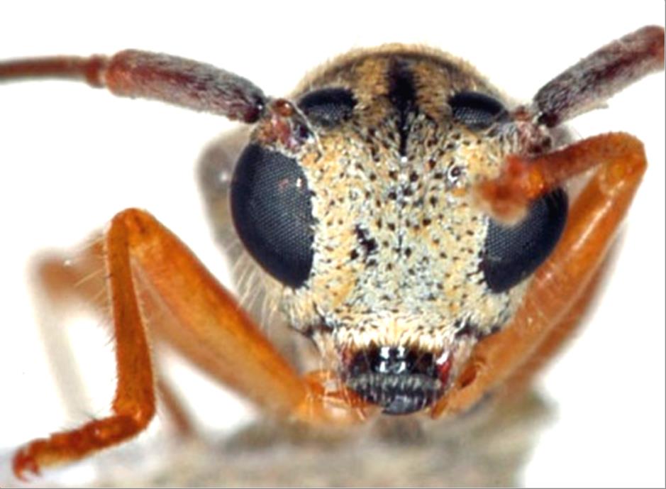
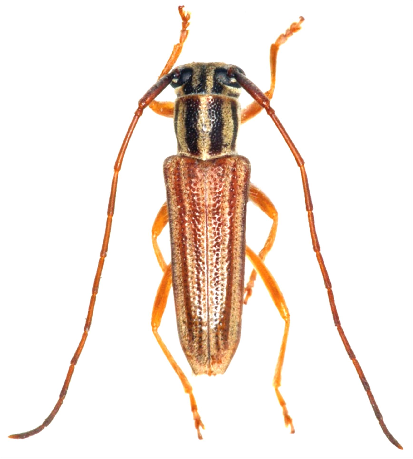
Heteroglenea glechoma  (Pascoe, 1867)
Family:Cerambycidae
Subfamily:Lamiinae
Data of specimen
Sex:male
Body length excl.antennae(mm):8
Date of collection:1975/05/25
Country:Japan
Prefecture:Okinawa
City/town:Taketomi-cho
Detailed locality:
Longitude ( 123˚47'27.0"E )
Latitude ( 24˚24'59.5"N )
latest update:
2017/08/08



Back