Japanese Longicorn Beetles

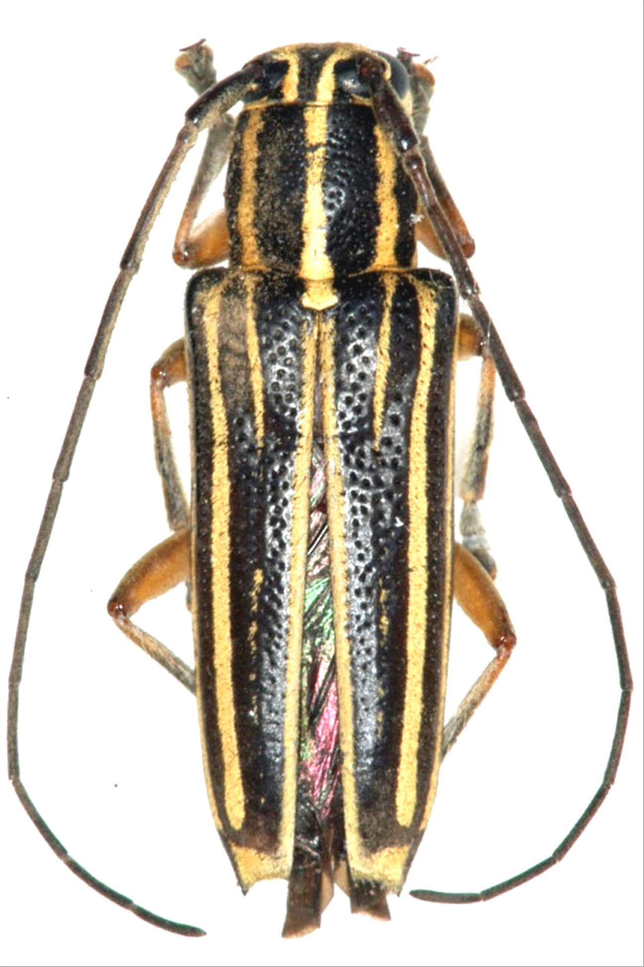
Glenea ryukyuuensis  Breuning et K. Ohbayasi, 1964
Family:Cerambycidae
Subfamily:Lamiinae
Data of specimen
Sex:female
Body length excl.antennae(mm):15
Date of collection:2003/03/03
Country:Japan
Prefecture:Okinawa
City/town:Ishigaki-shi
Detailed locality:Ishigaki-jima Is. Mt.Omotodake
Longitude ( 124˚10'28.3"E )
Latitude ( 24˚25'23.0"N )
latest update:
2017/08/08



Back