Japanese Longicorn Beetles

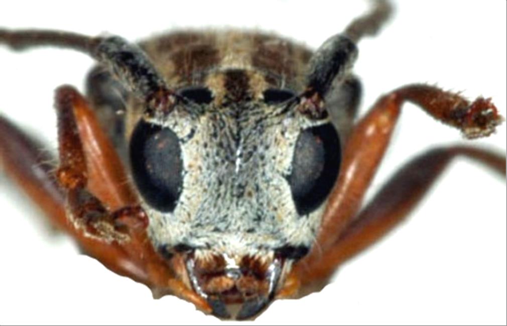
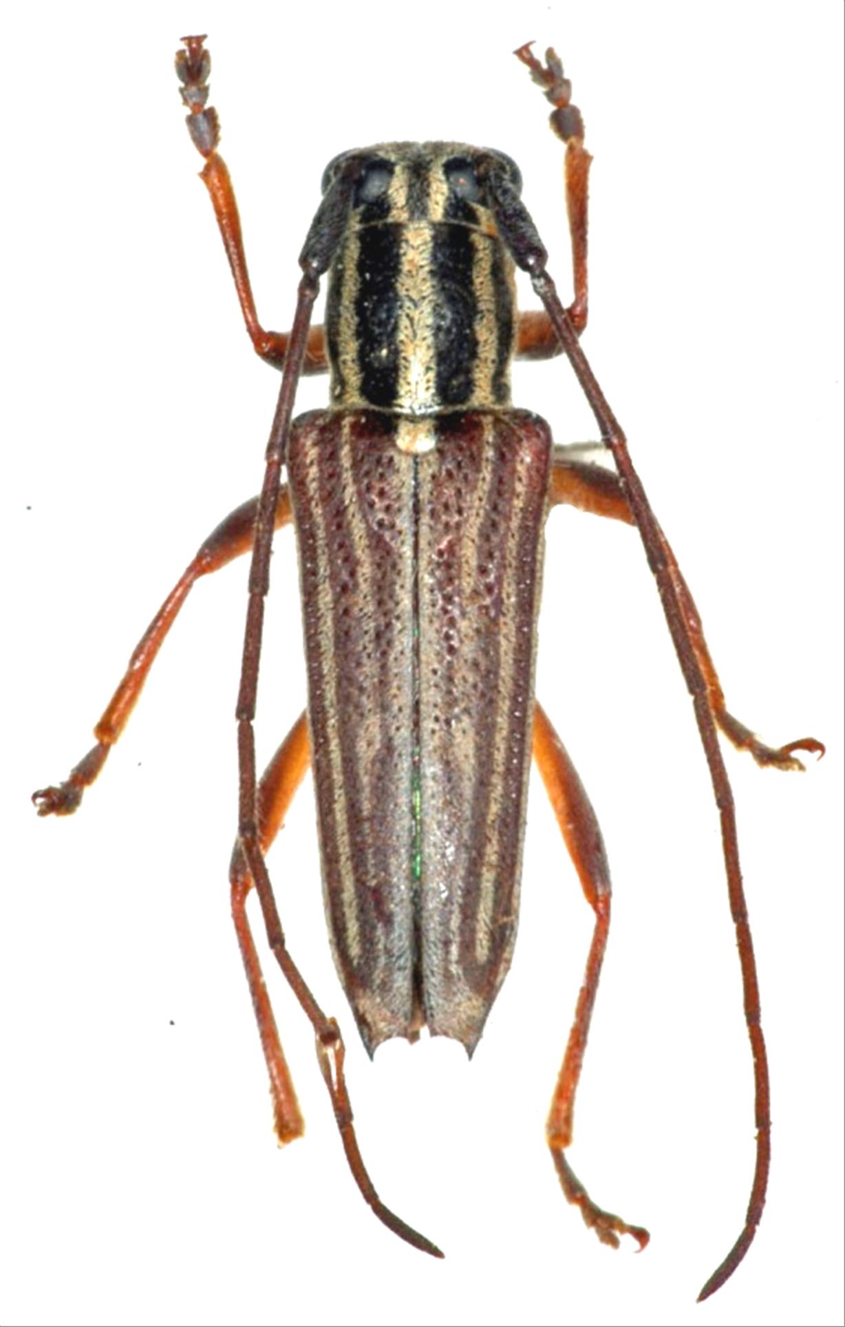
Glenea lineata ihai  Hayashi, 1960
Family:Cerambycidae
Subfamily:Lamiinae
Data of specimen
Sex:male
Body length excl.antennae(mm):10
Date of collection:1977/06/30 〜 1977/07/03
Country:Japan
Prefecture:Okinawa
City/town:Kumejima-cho
Detailed locality:Kumejima Is.
Longitude ( 126˚45'40.3"E )
Latitude ( 26˚21'53.1"N )
latest update:
2017/08/08



Back