Japanese Longicorn Beetles

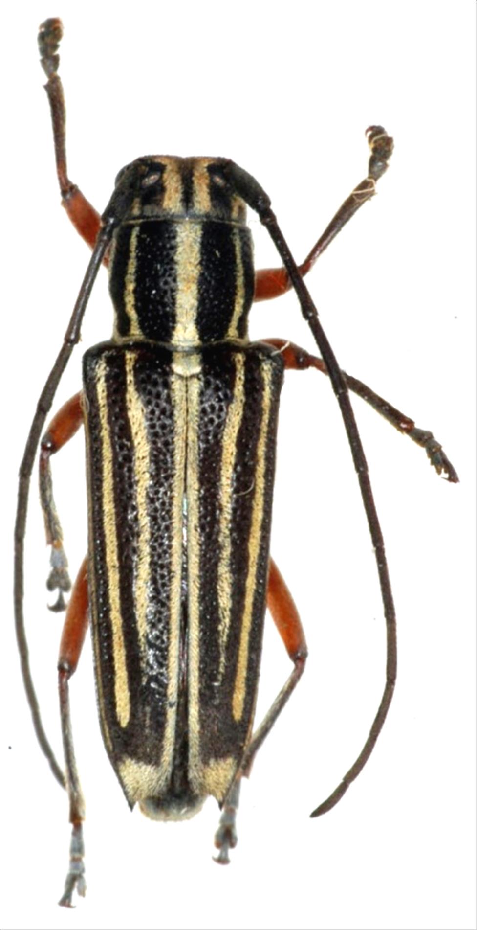
Glenea lineata lineata  Gahan, 1897
Family:Cerambycidae
Subfamily:Lamiinae
Data of specimen
Sex:female
Body length excl.antennae(mm):11
Date of collection:1976/07/06
Country:Japan
Prefecture:Kagoshima
City/town:Amami-shi
Detailed locality:
Longitude ( 129˚29'20.5"E )
Latitude ( 28˚22'52.7"N )
latest update:
2017/08/08



Back