Japanese Longicorn Beetles

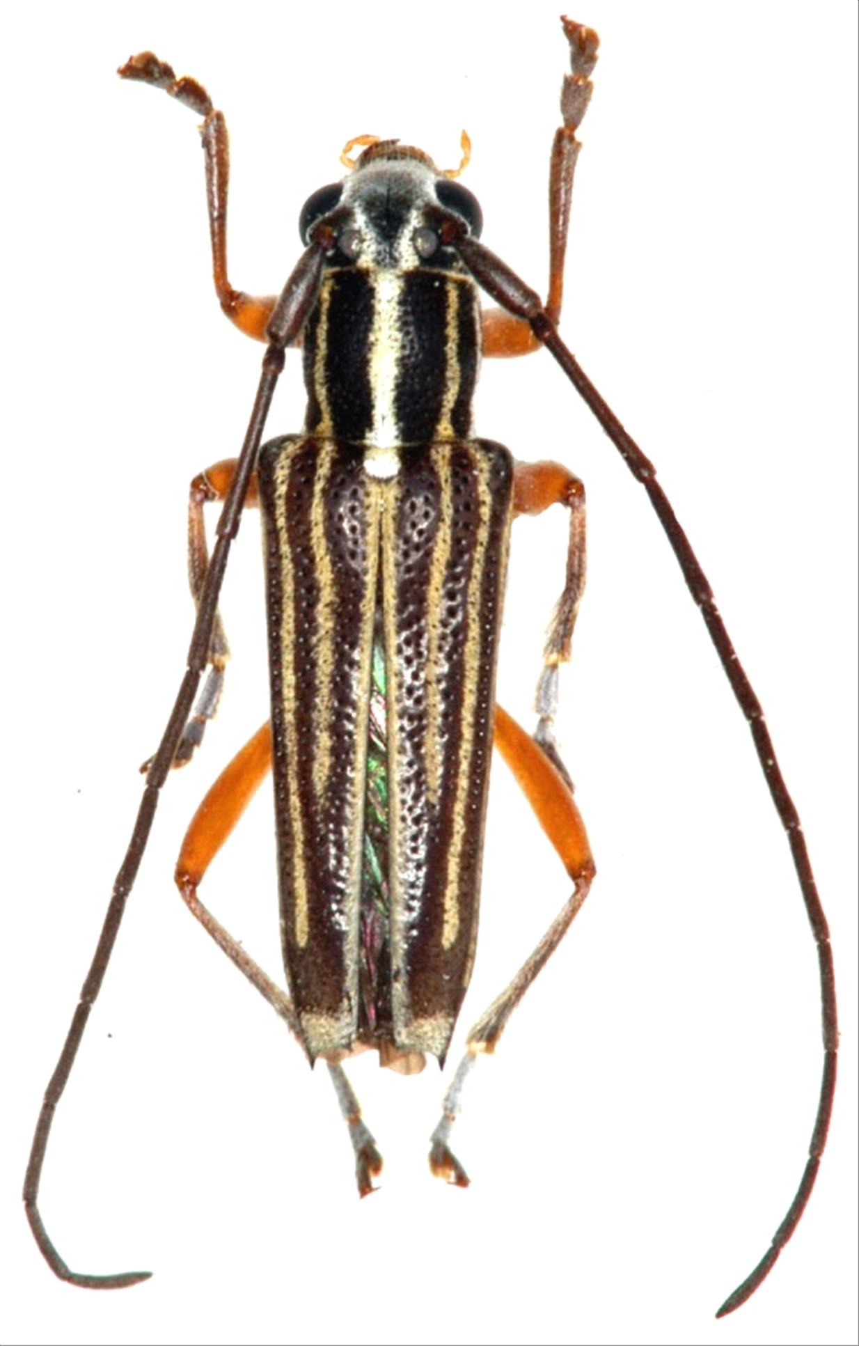
Glenea lineata lineata  Gahan, 1897
Family:Cerambycidae
Subfamily:Lamiinae
Data of specimen
Sex:male
Body length excl.antennae(mm):11
Date of collection:1976/05/08
Country:Japan
Prefecture:Kagoshima
City/town:Amami-Oshima
Detailed locality:AmamiOshima Is.
Longitude ( 129˚22'08.8"E )
Latitude ( 28˚16'09.0"N )
latest update:
2017/08/08



Back