Japanese Longicorn Beetles

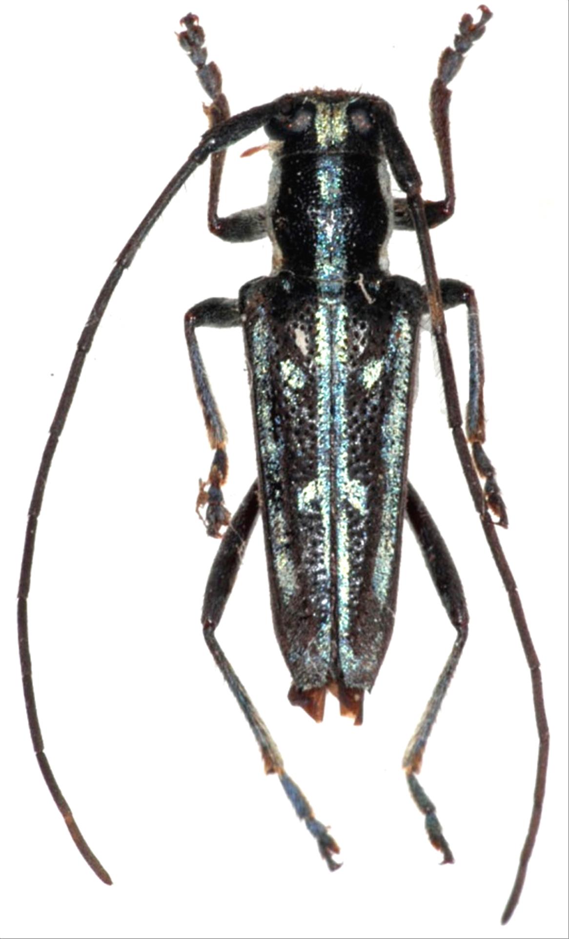
Glenea  kusamai  Makihara, 1988
Family:Cerambycidae
Subfamily:Lamiinae
Data of specimen
Sex:male
Body length excl.antennae(mm):11
Date of collection:1975/05/31
Country:Japan
Prefecture:Okinawa
City/town:Miyakojima-shi
Detailed locality:Miyako-jima Is.
Longitude ( 125˚20'52.5"E )
Latitude ( 24˚43'40.1"N )
latest update:
2017/08/08



Back