Japanese Longicorn Beetles

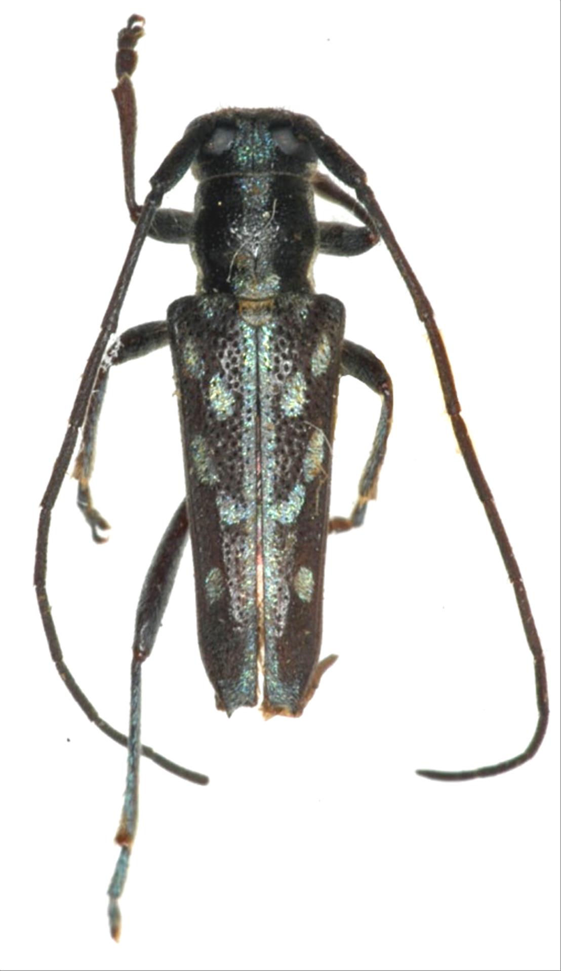
Glenea chlorospila okinawensis  Makihara, 1988
Family:Cerambycidae
Subfamily:Lamiinae
Data of specimen
Sex:male
Body length excl.antennae(mm):9
Date of collection:1974/05/22
Country:Japan
Prefecture:Okinawa
City/town:Nanjo-shi
Detailed locality:
Longitude ( 127˚49'18.7"E )
Latitude ( 26˚10'15.1"N )
latest update:
2017/08/08



Back