Japanese Longicorn Beetles

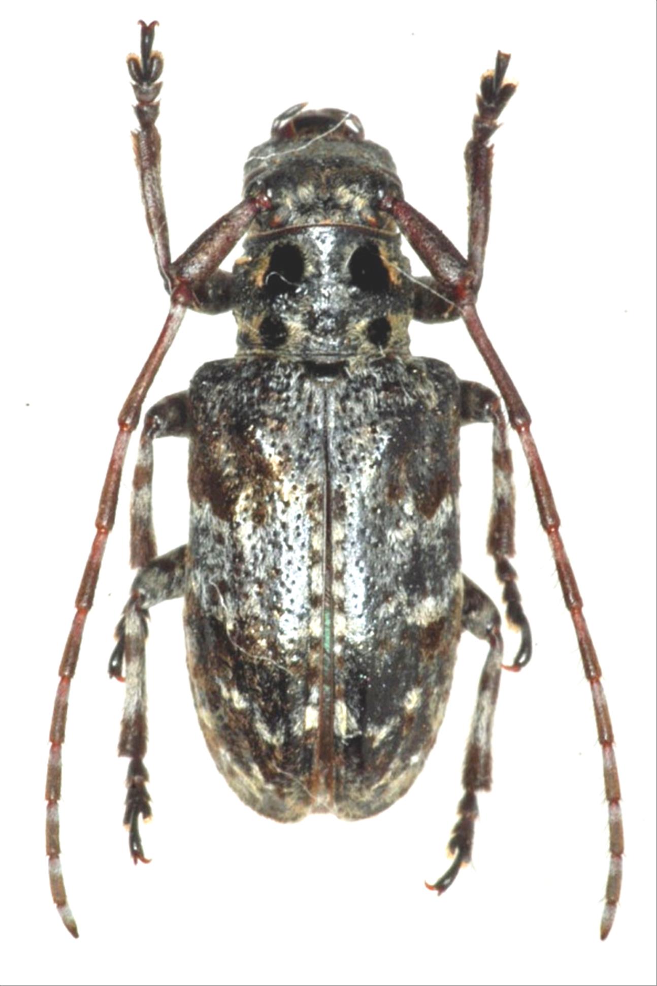
Mesosa  mediofasciafa  Breuning, 1942
Family:Cerambycidae
Subfamily:Lamiinae
Data of specimen
Sex:male
Body length excl.antennae(mm):10
Date of collection:1995/06/18
Country:Japan
Prefecture:Chiba
City/town:Kimitsu-shi
Detailed locality:
Longitude ( 140˚01'58.1"E )
Latitude ( 35˚11'15.9"N )
latest update:
2017/08/08



Back