Japanese Longicorn Beetles

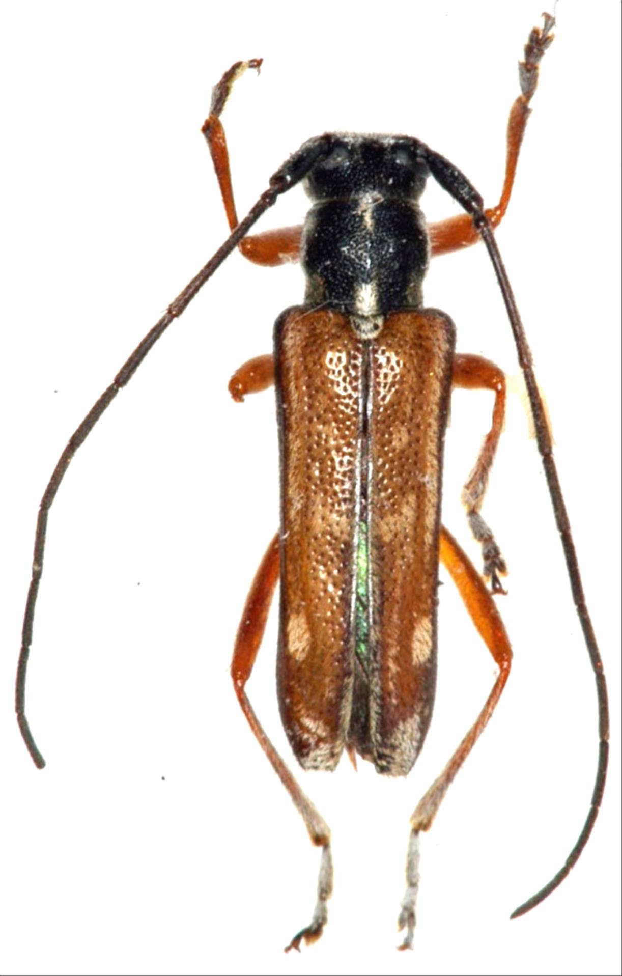
Pareutetrapha simulans  (Bates, 1873)
Family:Cerambycidae
Subfamily:Lamiinae
Data of specimen
Sex:male
Body length excl.antennae(mm):10
Date of collection:1977/06/13
Country:Japan
Prefecture:Yamagata
City/town:Oguni-machi
Detailed locality:
Longitude ( 139˚46'12.0"E )
Latitude ( 38˚03'06.7"N )
latest update:
2017/08/08



Back