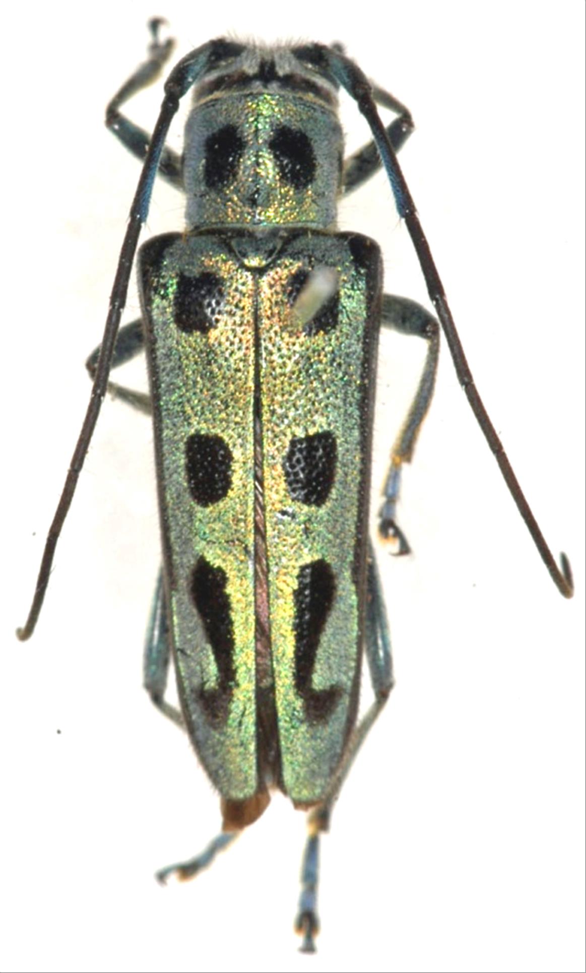
Japanese Longicorn Beetles

Eutetrapha chryscchloris chrysargrea  Bates, 1884
Family:Cerambycidae
Subfamily:Lamiinae
Data of specimen
Sex:female
Body length excl.antennae(mm):17
Date of collection:1977/07/04
Country:Japan
Prefecture:Ehime
City/town:Seiyo-shi
Detailed locality:
Longitude ( 132˚38'07.3"E )
Latitude ( 33˚22'51.9"N )
latest update:
2017/08/08



Back