Japanese Longicorn Beetles

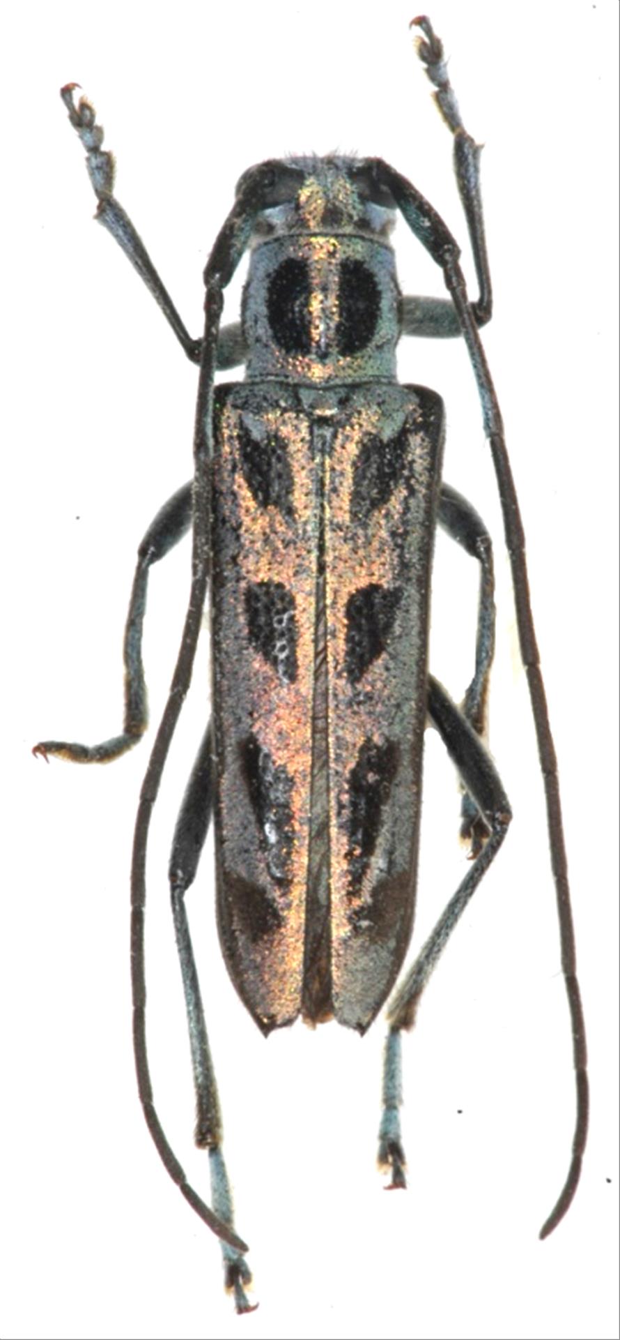
Eutetrapha chrysochloris chrysochloris  (Bates, 1879)
Family:Cerambycidae
Subfamily:Lamiinae
Data of specimen
Sex:male
Body length excl.antennae(mm):11
Date of collection:1982/07/10 〜 1982/07/11
Country:Japan
Prefecture:Fukushima
City/town:Hinoemata-mura
Detailed locality:
Longitude ( 139˚23'19.6"E )
Latitude ( 37˚01'28.0"N )
latest update:
2017/08/08



Back