Japanese Longicorn Beetles

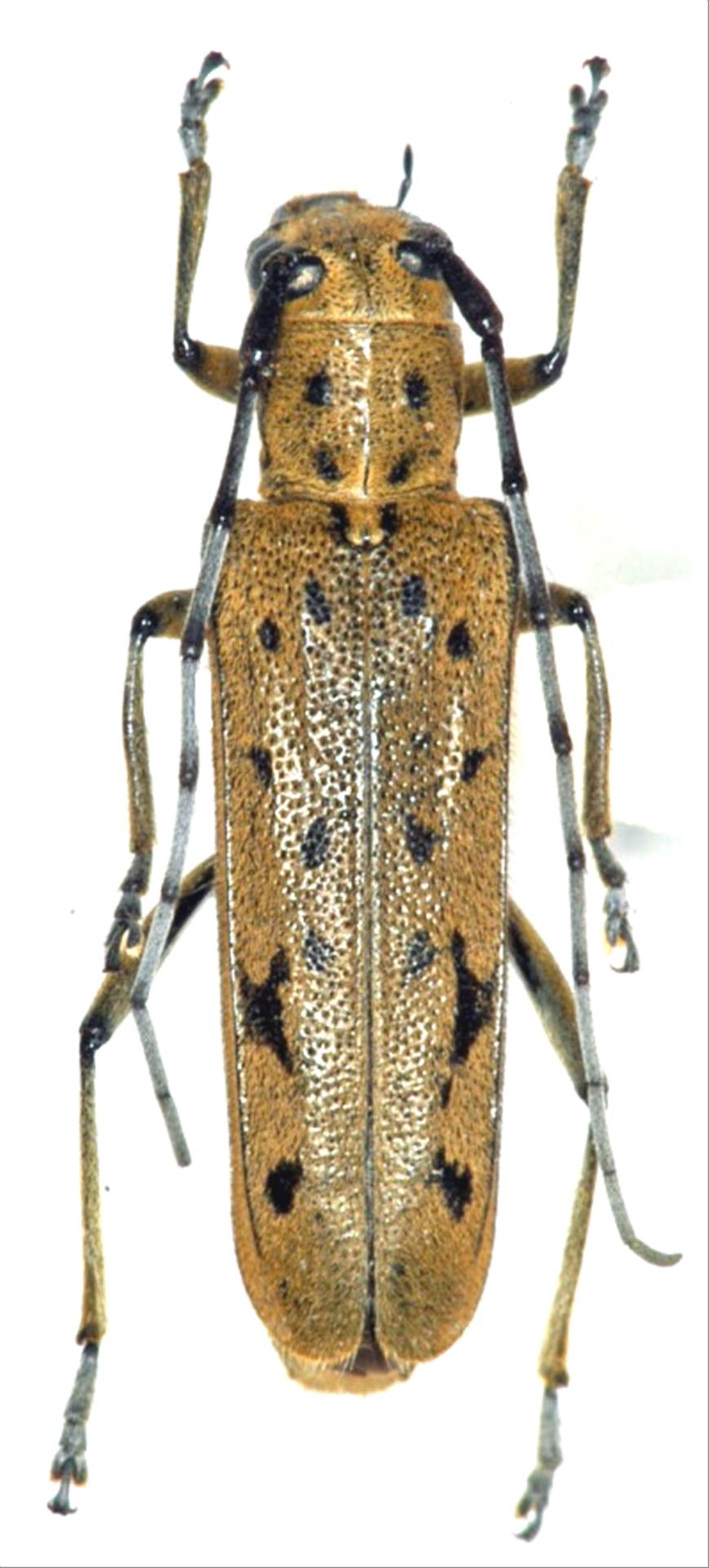
Eutetrapha sedecimpunctata sedecimpunctata  (Motschulsky, 1860)
Family:Cerambycidae
Subfamily:Lamiinae
Data of specimen
Sex:female
Body length excl.antennae(mm):17
Date of collection:1984/07/10 〜 1984/07/12
Country:Japan
Prefecture:Tochigi
City/town:Nikko-shi
Detailed locality:
Longitude ( 139˚23'45.4"E )
Latitude ( 36˚53'16.4"N )
latest update:
2017/08/08



Back