Japanese Longicorn Beetles

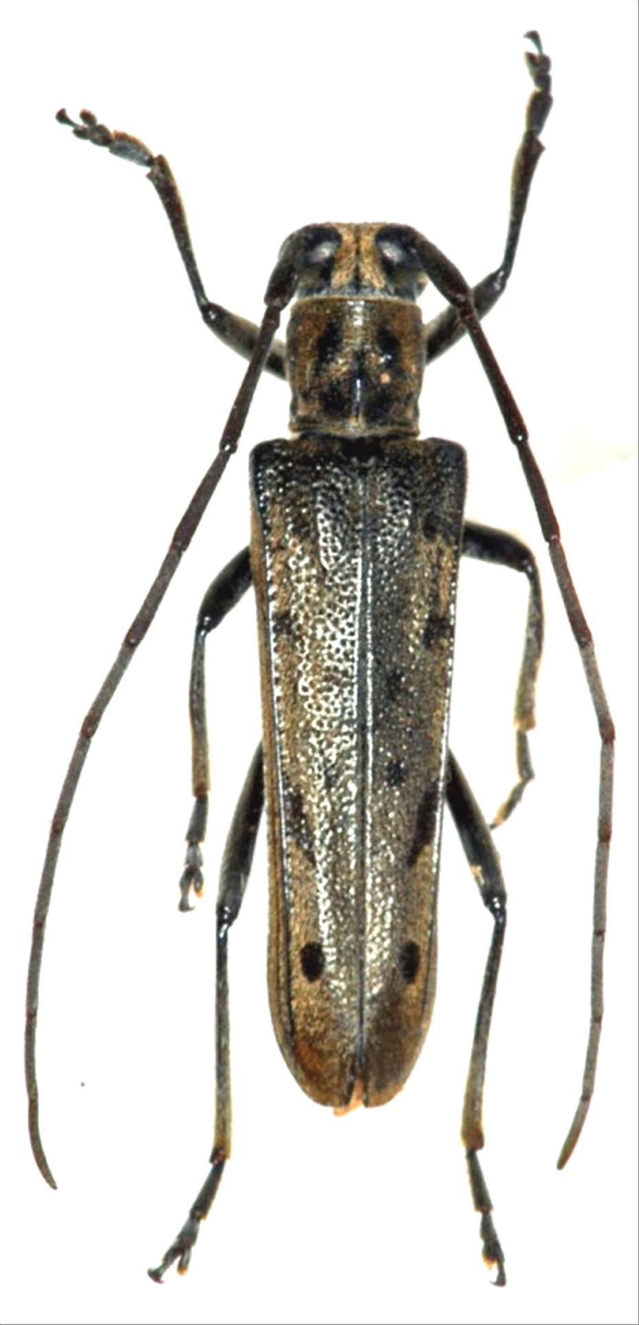
Eutetrapha sedecimpunctata sedecimpunctata  (Motschulsky, 1860)
Family:Cerambycidae
Subfamily:Lamiinae
Data of specimen
Sex:male
Body length excl.antennae(mm):15
Date of collection:1984/07/14
Country:Japan
Prefecture:Fukushima
City/town:Minamiaizu-machi
Detailed locality:
Longitude ( 140˚44'06.4"E )
Latitude ( 37˚40'45.0"N )
latest update:
2017/08/08



Back