Japanese Longicorn Beetles

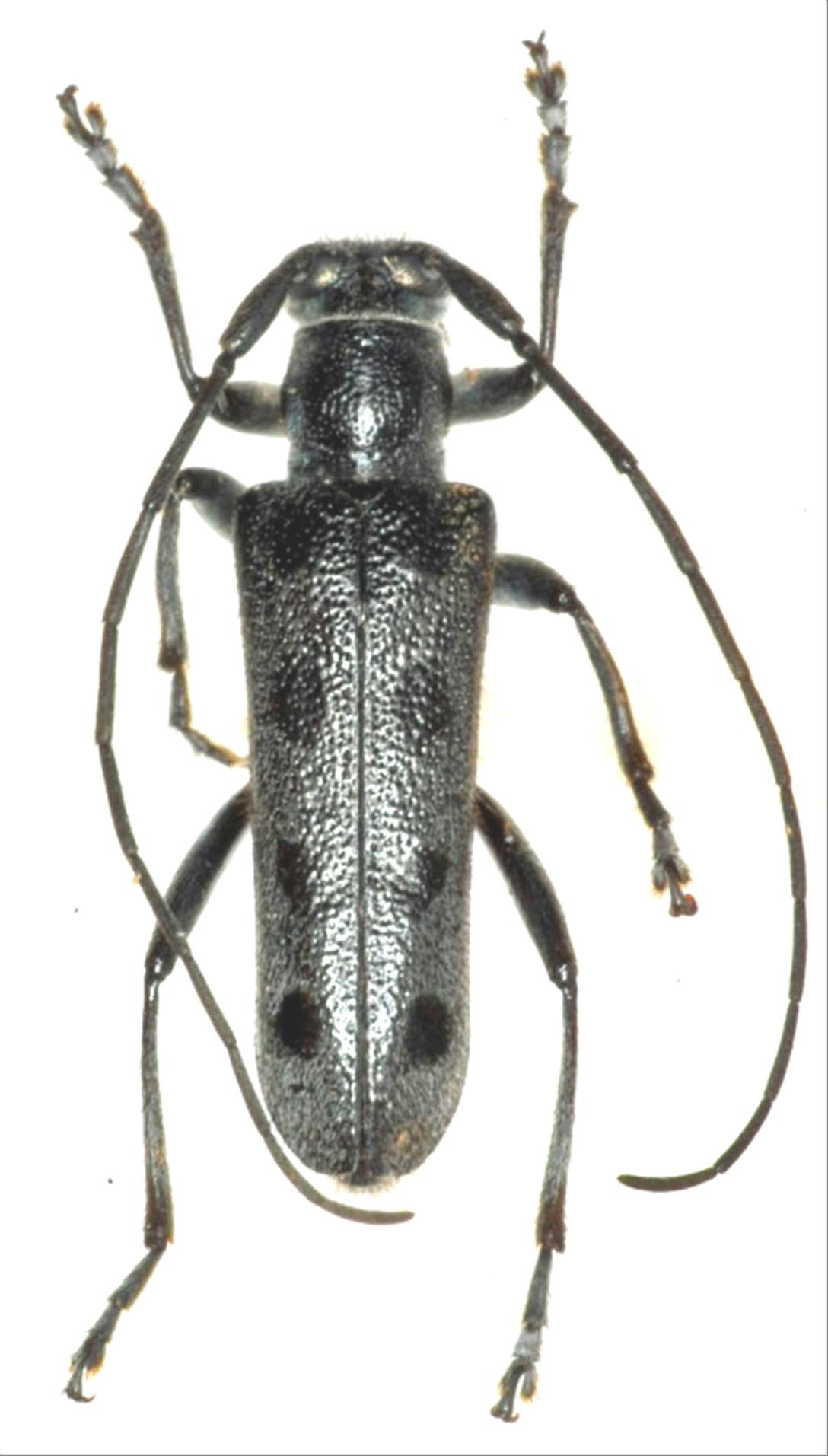
Saperda  mandschukuensis  Breuning, 1943
Family:Cerambycidae
Subfamily:Lamiinae
Data of specimen
Sex:male
Body length excl.antennae(mm):11
Date of collection:1985/06/29 〜 1985/06/30
Country:Japan
Prefecture:Fukushima
City/town:Minamiaizu-machi
Detailed locality:
Longitude ( 140˚44'06.4"E )
Latitude ( 37˚40'45.0"N )
latest update:
2017/08/08



Back