Japanese Longicorn Beetles

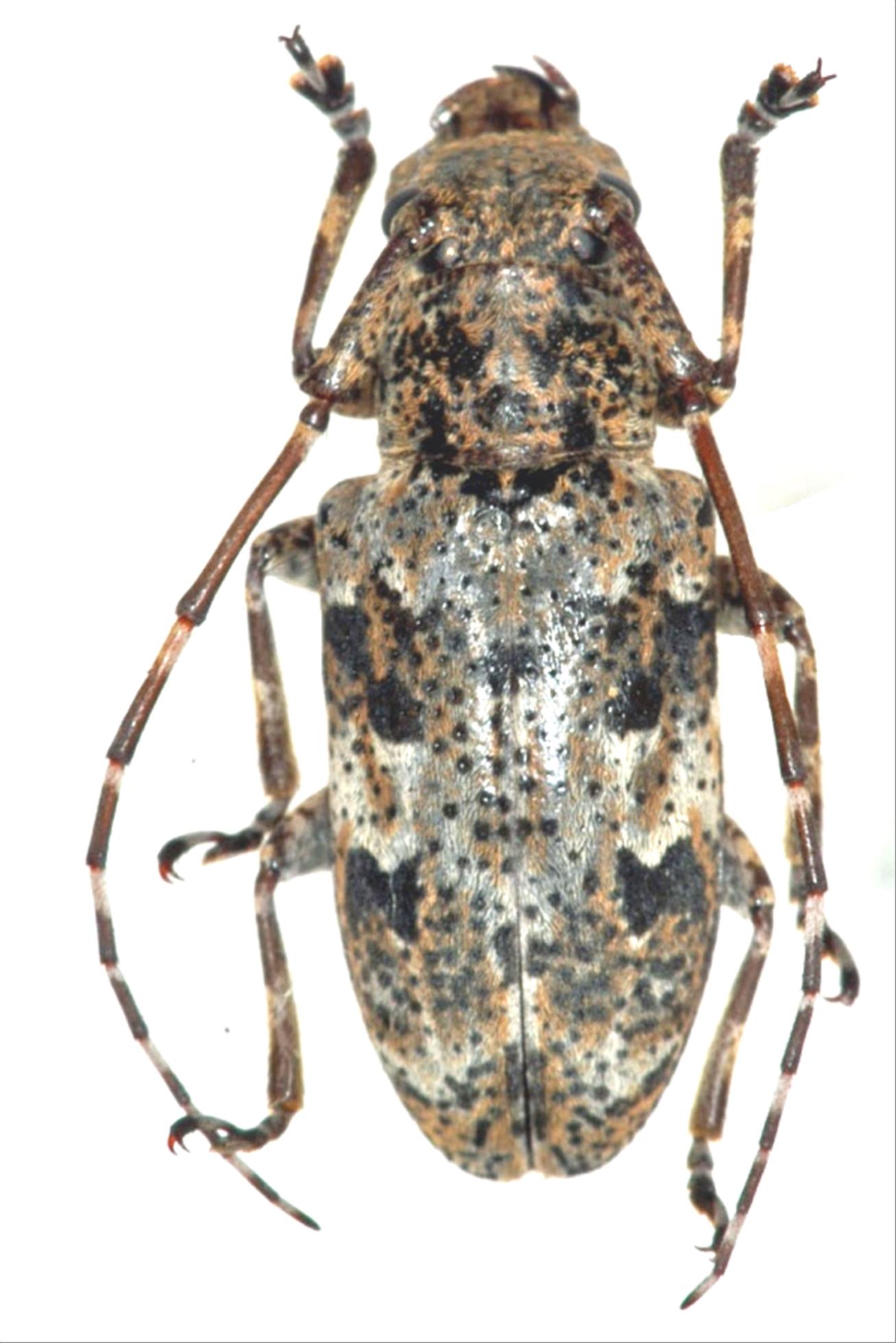
Mesosa konoi okinawana  Hayashi, 1960
Family:Cerambycidae
Subfamily:Lamiinae
Data of specimen
Sex:female
Body length excl.antennae(mm):17
Date of collection:2003/02/28
Country:Japan
Prefecture:Okinawa
City/town:Kunigami-son
Detailed locality:Mt.Nishime-dake
Longitude ( 128˚15'16.7"E )
Latitude ( 26˚48'23.0"N )
latest update:
2017/08/08



Back