Japanese Longicorn Beetles

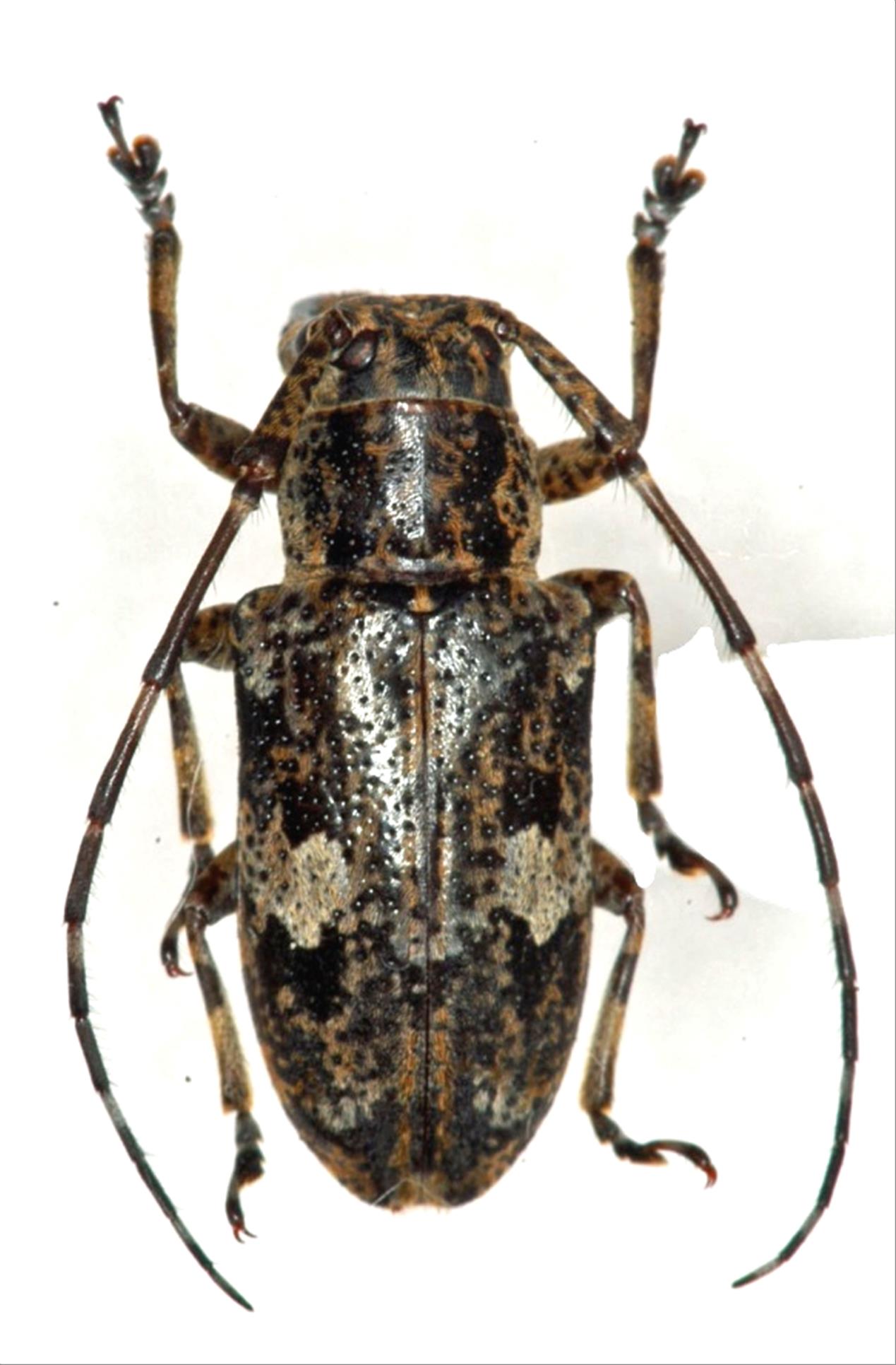
Mesosa konoi okinoerabuensis  K. Ohbayashi, 1959
Family:Cerambycidae
Subfamily:Lamiinae
Data of specimen
Sex:female
Body length excl.antennae(mm):14
Date of collection:2003/10/12
Country:Japan
Prefecture:Kagoshima
City/town:Wadomari-cho
Detailed locality:Okinoerabu-jima
Longitude ( 128˚33'50.3"E )
Latitude ( 27˚22'15.4"N )
latest update:
2017/08/08



Back