Japanese Longicorn Beetles

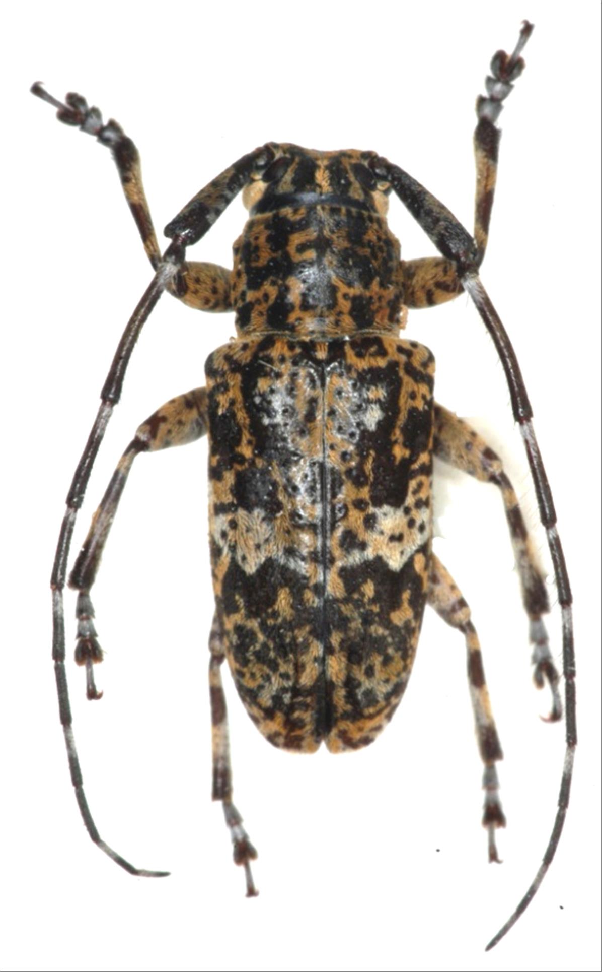
Mesosa konoi amamiana  Hayashi, 1962
Family:Cerambycidae
Subfamily:Lamiinae
Data of specimen
Sex:male
Body length excl.antennae(mm):12
Date of collection:1976/07/05
Country:Japan
Prefecture:Kagoshima
City/town:Amami-shi
Detailed locality:
Longitude ( 129˚24'47.0"E )
Latitude ( 28˚14'14.7"N )
latest update:
2017/08/08



Back