Japanese Longicorn Beetles

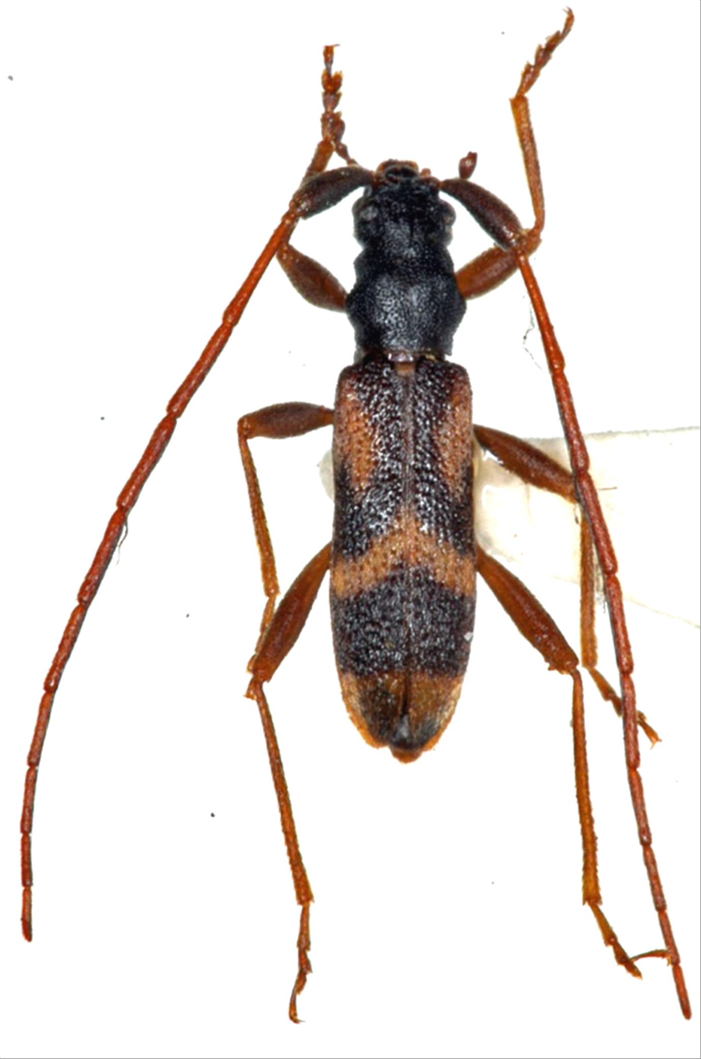
Tengius kurosawai  Makihara, 1986
Family:Disteniidae
Subfamily:
Data of specimen
Sex:male
Body length excl.antennae(mm):6
Date of collection:1968/06
Country:Japan
Prefecture:Kumamoto
City/town:Yatsushiro-shi
Detailed locality:Mt.Shiratori-san
Longitude ( 131˚00'54.2"E )
Latitude ( 32˚27'45.5"N )
latest update:
2017/08/08



Back