Japanese Longicorn Beetles

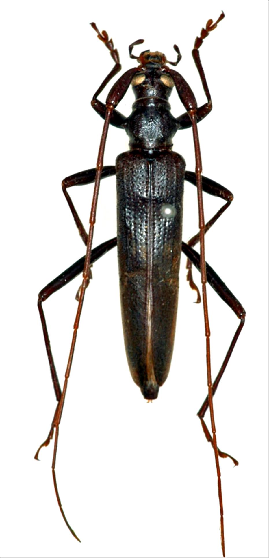
Disrenia gracilis  Yokoyama, 1966
Family:Disteniidae
Subfamily:
Data of specimen
Sex:male
Body length excl.antennae(mm):23
Date of collection:1973/07/21
Country:Japan
Prefecture:Kagoshima
City/town:Yakushima-cho
Detailed locality:Yakushima Is.
Longitude ( 130˚34'41.3"E )
Latitude ( 30˚23'13.5"N )
latest update:
2017/08/08



Back