Japanese Longicorn Beetles

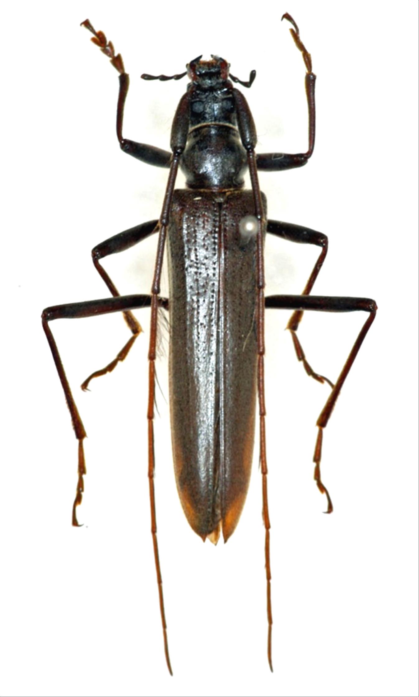
Disrenia gracilis  (Blessig, 1872)
Family:Disteniidae
Subfamily:
Data of specimen
Sex:female
Body length excl.antennae(mm):25
Date of collection:1979/08/01
Country:Japan
Prefecture:Aomori
City/town:Towada-shi
Detailed locality:
Longitude ( 140˚57'23.9"E )
Latitude ( 40˚30'09.1"N )
latest update:
2017/08/08



Back